Indiana

Indianapolis, Indiana
Indianapolis International
ICAO Identifier KIND

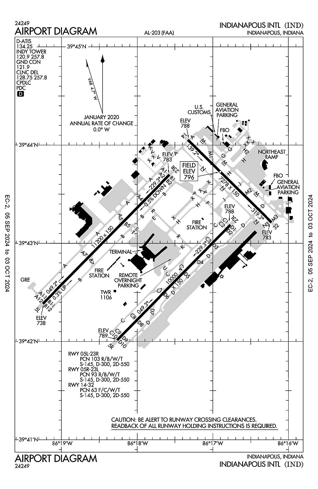
The airport diagram for Indianapolis International (ICAO Identifier KIND).

Indianapolis, IN
Indianapolis Intl
ICAO Identifier KIND

AD 2.2 Aerodrome Geographical and Administrative Data
2.2.1 Reference Point: 39-43-02.3N / 86-17-40.7W
2.2.2 From City: 7 miles SW of INDIANAPOLIS, IN
2.2.3 Elevation: 796.2 ft
2.2.5 Magnetic Variation: 5W (2015)
2.2.6 Airport Contact: MARIO RODRIGUEZ
7800 COL. H. WEIR COOK MEMORIAL DR.
INDIANAPOLIS, IN 46241 (317-487-9594)
2.2.7 Traffic: IFR/VFR

AD 2.3 Attendance Schedule
2.3.1 All Months, All Days, All Hours

AD 2.4 Handling Services and Facilities
2.4.1 Cargo Handling Facilities: YES
2.4.2 Fuel Types: 100LL A A1+
2.4.5 Hangar Space:
2.4.6 Repair Facilities: MAJOR

AD 2.6 Rescue and Firefighting Services
2.6.1 Aerodrome Category: Class-I certified on 5/1/1973
2.6.2 Rescue and Firefighting Services: ARFF Index-D

AD 2.12 Runway Physical Characteristics
2.12.1 Designation: 05L
2.12.2 True Bearing: 45
2.12.3 True Dimensions: 11200 ft x 150 ft
2.12.4 PCN: 103 R/B/W/T
2.12.5 Coordinates: 39-42-23.0337N / 86-19-14.9025W
2.12.6 Threshold Elevation: 738
2.12.6 Touchdown Zone Elevation: 747.3

2.12.1 Designation: 23R
2.12.2 True Bearing: 225
2.12.3 True Dimensions: 11200 ft x 150 ft
2.12.4 PCN: 103 R/B/W/T
2.12.5 Coordinates: 39-43-41.9101N / 86-17-34.3591W
2.12.6 Threshold Elevation: 782.9
2.12.6 Touchdown Zone Elevation: 782.9

2.12.1 Designation: 05R
2.12.2 True Bearing: 45
2.12.3 True Dimensions: 10000 ft x 150 ft
2.12.4 PCN: 93 R/B/W/T
2.12.5 Coordinates: 39-42-00.873N / 86-18-15.906W
2.12.6 Threshold Elevation: 788.8
2.12.6 Touchdown Zone Elevation: 790.7

2.12.1 Designation: 23L
2.12.2 True Bearing: 225
2.12.3 True Dimensions: 10000 ft x 150 ft
2.12.4 PCN: 93 R/B/W/T
2.12.5 Coordinates: 39-43-11.2875N / 86-16-46.1248W
2.12.6 Threshold Elevation: 787.6
2.12.6 Touchdown Zone Elevation: 790.1

2.12.1 Designation: 14
2.12.2 True Bearing: 135
2.12.3 True Dimensions: 7278 ft x 150 ft
2.12.4 PCN: 63 F/C/W/T
2.12.5 Coordinates: 39-44-03.2059N / 86-17-19.7638W
2.12.6 Threshold Elevation: 787.5
2.12.6 Touchdown Zone Elevation: 796.2

2.12.1 Designation: 32
2.12.2 True Bearing: 315
2.12.3 True Dimensions: 7278 ft x 150 ft
2.12.4 PCN: 63 F/C/W/T
2.12.5 Coordinates: 39-43-12.7458N / 86-16-13.3895W
2.12.6 Threshold Elevation: 782.6
2.12.6 Touchdown Zone Elevation: 792.9

AD 2.13 Declared Distances
2.13.1 Designation: 05L
2.13.2 Take-off Run Available: 11200
2.13.3 Take-off Distance Available: 11200
2.13.4 Accelerate-Stop Distance Available: 11200
2.13.5 Landing Distance Available: 11200

2.13.1 Designation: 23R
2.13.2 Take-off Run Available: 11200
2.13.3 Take-off Distance Available: 11200
2.13.4 Accelerate-Stop Distance Available: 11200
2.13.5 Landing Distance Available: 11200

2.13.1 Designation: 05R
2.13.2 Take-off Run Available: 10000
2.13.3 Take-off Distance Available: 10000
2.13.4 Accelerate-Stop Distance Available: 10000
2.13.5 Landing Distance Available: 10000

2.13.1 Designation: 23L
2.13.2 Take-off Run Available: 10000
2.13.3 Take-off Distance Available: 10000
2.13.4 Accelerate-Stop Distance Available: 10000
2.13.5 Landing Distance Available: 10000

2.13.1 Designation: 14
2.13.2 Take-off Run Available: 7278
2.13.3 Take-off Distance Available: 7278
2.13.4 Accelerate-Stop Distance Available: 7278
2.13.5 Landing Distance Available: 7278

2.13.1 Designation: 32
2.13.2 Take-off Run Available: 7278
2.13.3 Take-off Distance Available: 7278
2.13.4 Accelerate-Stop Distance Available: 7278
2.13.5 Landing Distance Available: 7278

AD 2.14 Approach and Runway Lighting
2.14.1 Designation: 05L
2.14.2 Approach Lighting System: ALSF2
2.14.4 Visual Approach Slope Indicator System: P4L

2.14.1 Designation: 23R
2.14.2 Approach Lighting System: MALSR
2.14.4 Visual Approach Slope Indicator System: P4L

2.14.1 Designation: 05R
2.14.2 Approach Lighting System: ALSF2
2.14.4 Visual Approach Slope Indicator System: P4L

2.14.1 Designation: 23L
2.14.2 Approach Lighting System: MALSR
2.14.4 Visual Approach Slope Indicator System: P4L

2.14.1 Designation: 14
2.14.2 Approach Lighting System: MALSR
2.14.4 Visual Approach Slope Indicator System: P4L

2.14.1 Designation: 32
2.14.2 Approach Lighting System: MALSR
2.14.4 Visual Approach Slope Indicator System: P4R

AD 2.18 Air Traffic Services Communication Facilities
2.18.1 Service Designation: APCH/P (WEST OF ACTIVE RWY)
2.18.3 Channel: 124.65
2.18.5 Hours of Operation: 24

2.18.1 Service Designation: APCH/P (EAST OF ACTIVE RWY)
2.18.3 Channel: 127.15
2.18.5 Hours of Operation: 24

2.18.1 Service Designation: APCH/P DEP/P
2.18.3 Channel: 317.8
2.18.5 Hours of Operation: 24

2.18.1 Service Designation: APCH/P IC
2.18.3 Channel: 128.175
2.18.5 Hours of Operation: 24

2.18.1 Service Designation: CD PRE TAXI CLNC
2.18.3 Channel: 128.75
2.18.5 Hours of Operation: 24

2.18.1 Service Designation: CD/P
2.18.3 Channel: 257.8
2.18.5 Hours of Operation: 24

2.18.1 Service Designation: CLANG STAR
2.18.3 Channel: 128.175
2.18.5 Hours of Operation: 24

2.18.1 Service Designation: CLANG STAR
2.18.3 Channel: 317.8
2.18.5 Hours of Operation: 24

2.18.1 Service Designation: CLASS C (WEST OF ACTIVE RWY)
2.18.3 Channel: 124.65
2.18.5 Hours of Operation: 24

2.18.1 Service Designation: CLASS C (EAST)
2.18.3 Channel: 124.95
2.18.5 Hours of Operation: 24

2.18.1 Service Designation: CLASS C (EAST OF ACTIVE RWY)
2.18.3 Channel: 127.15
2.18.5 Hours of Operation: 24

2.18.1 Service Designation: CLASS C
2.18.3 Channel: 317.8
2.18.5 Hours of Operation: 24

2.18.1 Service Designation: D-ATIS
2.18.3 Channel: 134.25
2.18.5 Hours of Operation: 24

2.18.1 Service Designation: DEP/P (WEST)
2.18.3 Channel: 119.05
2.18.5 Hours of Operation: 24

2.18.1 Service Designation: DEP/P (EAST)
2.18.3 Channel: 124.95
2.18.5 Hours of Operation: 24

2.18.1 Service Designation: EMERG
2.18.3 Channel: 121.5
2.18.5 Hours of Operation:

2.18.1 Service Designation: EMERG
2.18.3 Channel: 243
2.18.5 Hours of Operation:

2.18.1 Service Designation: GND/P
2.18.3 Channel: 121.9
2.18.5 Hours of Operation: 24

2.18.1 Service Designation: GND/S
2.18.3 Channel: 121.8
2.18.5 Hours of Operation: 24

2.18.1 Service Designation: LCL/P
2.18.3 Channel: 120.9
2.18.5 Hours of Operation: 24

2.18.1 Service Designation: LCL/P
2.18.3 Channel: 257.8
2.18.5 Hours of Operation: 24

2.18.1 Service Designation: RACYR STAR
2.18.3 Channel: 128.175
2.18.5 Hours of Operation: 24

2.18.1 Service Designation: RACYR STAR
2.18.3 Channel: 317.8
2.18.5 Hours of Operation: 24

AD 2.19 Radio Navigation and Landing Aids
2.19.1 ILS Type: DME for runway 05L. Magnetic variation: 5W
2.19.2 ILS Identification: IND
2.19.5 Coordinates: 39-43-51.3513N / 86-17-27.5671W
2.19.6 Site Elevation: 797.6 ft

2.19.1 ILS Type: Glide Slop for runway 05L. Magnetic variation: 5W
2.19.2 ILS Identification: IND
2.19.5 Coordinates: 39-42-32.7741N / 86-19-09.6768W
2.19.6 Site Elevation: 735.4 ft

2.19.1 ILS Type: Inner Marker for runway 05L. Magnetic variation: 5W
2.19.2 ILS Identification: IND
2.19.5 Coordinates: 39-42-15.7098N / 86-19-24.4367W
2.19.6 Site Elevation: 735.9 ft

2.19.1 ILS Type: Localizer for runway 05L. Magnetic variation: 5W
2.19.2 ILS Identification: IND
2.19.5 Coordinates: 39-43-49.0283N / 86-17-25.2797W
2.19.6 Site Elevation: 787.8 ft

2.19.1 ILS Type: DME for runway 23R. Magnetic variation: 5W
2.19.2 ILS Identification: UZK
2.19.5 Coordinates: 39-43-51.3513N / 86-17-27.5671W
2.19.6 Site Elevation: 797.6 ft

2.19.1 ILS Type: Glide Slop for runway 23R. Magnetic variation: 5W
2.19.2 ILS Identification: UZK
2.19.5 Coordinates: 39-43-36.5113N / 86-17-48.4342W
2.19.6 Site Elevation: 772.4 ft

2.19.1 ILS Type: Localizer for runway 23R. Magnetic variation: 5W
2.19.2 ILS Identification: UZK
2.19.5 Coordinates: 39-42-15.9186N / 86-19-23.9666W
2.19.6 Site Elevation: 736.6 ft

2.19.1 ILS Type: DME for runway 05R. Magnetic variation: 5W
2.19.2 ILS Identification: OQV
2.19.5 Coordinates: 39-43-20.1868N / 86-16-39.5353W
2.19.6 Site Elevation: 802 ft

2.19.1 ILS Type: Glide Slop for runway 05R. Magnetic variation: 5W
2.19.2 ILS Identification: OQV
2.19.5 Coordinates: 39-42-05.3627N / 86-18-02.9983W
2.19.6 Site Elevation: 788.5 ft

2.19.1 ILS Type: Inner Marker for runway 05R. Magnetic variation: 5W
2.19.2 ILS Identification: OQV
2.19.5 Coordinates: 39-41-52.07N / 86-18-27.12W
2.19.6 Site Elevation: 784.4 ft

2.19.1 ILS Type: Localizer for runway 05R. Magnetic variation: 5W
2.19.2 ILS Identification: OQV
2.19.5 Coordinates: 39-43-18.3778N / 86-16-37.0825W
2.19.6 Site Elevation: 795.5 ft

2.19.1 ILS Type: DME for runway 23L. Magnetic variation: 5W
2.19.2 ILS Identification: FVJ
2.19.5 Coordinates: 39-43-20.1868N / 86-16-39.5353W
2.19.6 Site Elevation: 802 ft

2.19.1 ILS Type: Glide Slop for runway 23L. Magnetic variation: 5W
2.19.2 ILS Identification: FVJ
2.19.5 Coordinates: 39-43-01.17N / 86-16-51.66W
2.19.6 Site Elevation: 782 ft

2.19.1 ILS Type: Localizer for runway 23L. Magnetic variation: 5W
2.19.2 ILS Identification: FVJ
2.19.5 Coordinates: 39-41-53.48N / 86-18-25.33W
2.19.6 Site Elevation: 787.3 ft

2.19.1 ILS Type: Glide Slop for runway 14. Magnetic variation: 5W
2.19.2 ILS Identification: BJP
2.19.5 Coordinates: 39-43-59.3065N / 86-17-07.3342W
2.19.6 Site Elevation: 790 ft

2.19.1 ILS Type: Localizer for runway 14. Magnetic variation: 5W
2.19.2 ILS Identification: BJP
2.19.5 Coordinates: 39-43-05.64N / 86-16-04.06W
2.19.6 Site Elevation: 768.5 ft

2.19.1 ILS Type: Glide Slop for runway 32. Magnetic variation: 5W
2.19.2 ILS Identification: COA
2.19.5 Coordinates: 39-43-16.2751N / 86-16-25.5096W
2.19.6 Site Elevation: 781.7 ft

2.19.1 ILS Type: Localizer for runway 32. Magnetic variation: 5W
2.19.2 ILS Identification: COA
2.19.5 Coordinates: 39-44-10.3487N / 86-17-29.1696W
2.19.6 Site Elevation: 782.3 ft

General Remarks:

TWY V IS NOT AVBL FOR ACR OPS.

TWY H RUNS CONTIGUOUS AT NORTHEAST RAMP.

LARGE FLOCKS OF BIRDS ON & INVOF ARPT.

NOISE ABATEMENT PROCEDURES IN EFFECT CTC ARPT MGR.

PRIM STUDENT TGL NOT PMTD.

BE ALERT TO CLOSE PROXIMITY OF RWY 14/32 TO NORTHEAST RAMP.