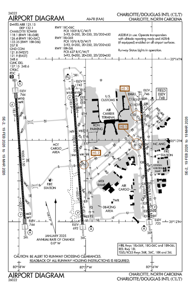
CHARLOTTE DOUGLAS INTERNATIONAL AIRPORT TAXIWAY NOMENCLATURE CHANGES
CHARLOTTE, NORTH CAROLINA
EFFECTIVE: 03/19/2026
A construction project to revise taxiway nomenclature is underway. There are taxiway nomenclature changes associated with this project. The new taxiway identifier signage will not be completed before the new airport diagram is published on March 19, 2026.
Taxiway Identifiers Impacted by the Changes
Taxiway noted on diagram | Current taxiway identifier |
|---|---|
Taxiway E12 | Taxiway L (East of Runway 18C/36C) |
Taxiway E11 | Taxiway E10 |
Taxiway Z1 | Taxiway E11 |
Taxiway Z2 | Taxiway E12 |
Taxiway Z3 | Taxiway E13 |
Taxiway E10 | Taxiway E9 |
Taxiway Z4 | Taxiway E14 |
Taxiway E9 | Taxiway E8 |
Taxiway Y | Taxiway V5 |
Taxiway Z5 | Taxiway E15 |
Taxiway E8 | Taxiway E7 |
Taxiway Z6 | Taxiway E16 |
Taxiway E7 | Taxiway E6 |
Taxiway Z7 | Taxiway E17 |
Taxiway Q | Taxiway V4 (West of Taxiway E) |
Taxiway F5 | Taxiway V4 (East of Taxiway E) |
Taxiway E6 | Taxiway E5 |
Taxiway E5 | Taxiway E4 |
Taxiway E4 | Taxiway E3 |
Taxiway E1 | Taxiway U (West of Taxiway E) |
Taxiway V12 | Taxiway L (West of Runway 18C/36C) |
Taxiway V11 | Taxiway V15 |
Taxilane J4 | Taxilane B |
Taxiway J4 | Taxiway B |
Taxiway J4 | Taxiway A4 |
Taxiway Z30 | Taxiway C12 (West of Taxiway C) |
Taxiway Z29 | Taxiway C11 (West of Taxiway C) |
Taxiway Z28 | Taxiway C10 (West of Taxiway C) |
The previous airport diagram may be used as a reference pending changeover to the new taxiway nomenclature changes.
Previous Airport Diagram

(AJV-C, 3/9/2026)