Texas

Dallas, Texas
Dallas-Fort Worth International
ICAO Identifier KDFW

The airport diagram for Dallas-Fort Worth International (ICAO Identifier KDFW).

Dallas-Fort Worth, TX
Dallas/Fort Worth Intl
ICAO Identifier KDFW

AD 2.2 Aerodrome Geographical and Administrative Data
2.2.1 Reference Point: 32-53-50.039N / 97-02-15.701W
2.2.2 From City: 12 miles NW of DALLAS-FORT WORTH, TX
2.2.3 Elevation: 606.4 ft
2.2.5 Magnetic Variation: 4E (2015)
2.2.6 Airport Contact: SEAN DONOHUE
PO BOX 619428
DALLAS-FT WORTH, TX 75261 (972-973-3112)
2.2.7 Traffic: IFR/VFR

AD 2.3 Attendance Schedule
2.3.1 All Months, All Days, All Hours

AD 2.4 Handling Services and Facilities
2.4.1 Cargo Handling Facilities: YES
2.4.2 Fuel Types: 100LL A
2.4.5 Hangar Space:
2.4.6 Repair Facilities: None

AD 2.6 Rescue and Firefighting Services
2.6.1 Aerodrome Category: Class-I certified on 7/1/1973
2.6.2 Rescue and Firefighting Services: ARFF Index-E

AD 2.12 Runway Physical Characteristics
2.12.1 Designation: 13L
2.12.2 True Bearing: 135
2.12.3 True Dimensions: 9000 ft x 200 ft
2.12.4 PCN: 95 R/B/W/T
2.12.5 Coordinates: 32-54-45.197N / 97-01-17.3221W
2.12.6 Threshold Elevation: 553.1
2.12.6 Touchdown Zone Elevation: 550

2.12.1 Designation: 31R
2.12.2 True Bearing: 315
2.12.3 True Dimensions: 9000 ft x 200 ft
2.12.4 PCN: 95 R/B/W/T
2.12.5 Coordinates: 32-53-41.932N / 97-00-03.0376W
2.12.6 Threshold Elevation: 508.4
2.12.6 Touchdown Zone Elevation: 523.4

2.12.1 Designation: 13R
2.12.2 True Bearing: 139
2.12.3 True Dimensions: 9300 ft x 150 ft
2.12.4 PCN: 76 R/B/W/T
2.12.5 Coordinates: 32-54-34.4723N / 97-04-59.276W
2.12.6 Threshold Elevation: 591
2.12.6 Touchdown Zone Elevation: 591

2.12.1 Designation: 31L
2.12.2 True Bearing: 319
2.12.3 True Dimensions: 9300 ft x 150 ft
2.12.4 PCN: 76 R/B/W/T
2.12.5 Coordinates: 32-53-24.9716N / 97-03-47.7953W
2.12.6 Threshold Elevation: 577.2
2.12.6 Touchdown Zone Elevation: 581.4

2.12.1 Designation: 17C
2.12.2 True Bearing: 180
2.12.3 True Dimensions: 13400 ft x 150 ft
2.12.4 PCN: 93 R/B/W/T
2.12.5 Coordinates: 32-54-56.5441N / 97-01-33.5097W
2.12.6 Threshold Elevation: 562.2
2.12.6 Touchdown Zone Elevation: 563.2

2.12.1 Designation: 35C
2.12.2 True Bearing: 0
2.12.3 True Dimensions: 13400 ft x 150 ft
2.12.4 PCN: 93 R/B/W/T
2.12.5 Coordinates: 32-52-43.9636N / 97-01-34.218W
2.12.6 Threshold Elevation: 563.1
2.12.6 Touchdown Zone Elevation: 563.2

2.12.1 Designation: 35R
2.12.2 True Bearing: 0
2.12.3 True Dimensions: 8500 ft x 150 ft
2.12.4 PCN: 91 R/B/W/T
2.12.5 Coordinates: 32-52-29.8535N / 97-00-35.6686W
2.12.6 Threshold Elevation: 575.6
2.12.6 Touchdown Zone Elevation: 575.6

2.12.1 Designation: 17L
2.12.2 True Bearing: 180
2.12.3 True Dimensions: 8500 ft x 150 ft
2.12.4 PCN: 91 R/B/W/T
2.12.5 Coordinates: 32-53-53.9534N / 97-00-35.203W
2.12.6 Threshold Elevation: 524.3
2.12.6 Touchdown Zone Elevation: 545.2

2.12.1 Designation: 17R
2.12.2 True Bearing: 180
2.12.3 True Dimensions: 13400 ft x 200 ft
2.12.4 PCN: 81 R/B/W/T
2.12.5 Coordinates: 32-54-56.5996N / 97-01-47.5806W
2.12.6 Threshold Elevation: 566.6
2.12.6 Touchdown Zone Elevation: 566.7

2.12.1 Designation: 35L
2.12.2 True Bearing: 0
2.12.3 True Dimensions: 13400 ft x 200 ft
2.12.4 PCN: 81 R/B/W/T
2.12.5 Coordinates: 32-52-44.0203N / 97-01-48.2888W
2.12.6 Threshold Elevation: 563.4
2.12.6 Touchdown Zone Elevation: 564

2.12.1 Designation: 36R
2.12.2 True Bearing: 0
2.12.3 True Dimensions: 13401 ft x 200 ft
2.12.4 PCN: 83 R/B/W/T
2.12.5 Coordinates: 32-52-44.2972N / 97-03-03.3332W
2.12.6 Threshold Elevation: 575.3
2.12.6 Touchdown Zone Elevation: 580.7

2.12.1 Designation: 18L
2.12.2 True Bearing: 180
2.12.3 True Dimensions: 13401 ft x 200 ft
2.12.4 PCN: 83 R/B/W/T
2.12.5 Coordinates: 32-54-56.8785N / 97-03-02.6511W
2.12.6 Threshold Elevation: 601.5
2.12.6 Touchdown Zone Elevation: 601.6

2.12.1 Designation: 18R
2.12.2 True Bearing: 180
2.12.3 True Dimensions: 13400 ft x 150 ft
2.12.4 PCN: 90 R/C/W/T
2.12.5 Coordinates: 32-54-56.9275N / 97-03-16.7239W
2.12.6 Threshold Elevation: 606.4
2.12.6 Touchdown Zone Elevation: 606.4

2.12.1 Designation: 36L
2.12.2 True Bearing: 0
2.12.3 True Dimensions: 13400 ft x 150 ft
2.12.4 PCN: 90 R/C/W/T
2.12.5 Coordinates: 32-52-44.3493N / 97-03-17.4003W
2.12.6 Threshold Elevation: 582.2
2.12.6 Touchdown Zone Elevation: 587.6

AD 2.13 Declared Distances
2.13.1 Designation: 13L
2.13.2 Take-off Run Available: 9000
2.13.3 Take-off Distance Available: 9000
2.13.4 Accelerate-Stop Distance Available: 9000
2.13.5 Landing Distance Available: 8373

2.13.1 Designation: 31R
2.13.2 Take-off Run Available: 8373
2.13.3 Take-off Distance Available: 8373
2.13.4 Accelerate-Stop Distance Available: 8373
2.13.5 Landing Distance Available: 8373

2.13.1 Designation: 13R
2.13.2 Take-off Run Available: 9300
2.13.3 Take-off Distance Available: 9300
2.13.4 Accelerate-Stop Distance Available: 9300
2.13.5 Landing Distance Available: 9300

2.13.1 Designation: 31L
2.13.2 Take-off Run Available: 9300
2.13.3 Take-off Distance Available: 9300
2.13.4 Accelerate-Stop Distance Available: 9300
2.13.5 Landing Distance Available: 9300

2.13.1 Designation: 17C
2.13.2 Take-off Run Available: 13400
2.13.3 Take-off Distance Available: 13400
2.13.4 Accelerate-Stop Distance Available: 13400
2.13.5 Landing Distance Available: 13400

2.13.1 Designation: 35C
2.13.2 Take-off Run Available: 13400
2.13.3 Take-off Distance Available: 13400
2.13.4 Accelerate-Stop Distance Available: 13400
2.13.5 Landing Distance Available: 13400

2.13.1 Designation: 35R
2.13.2 Take-off Run Available: 8500
2.13.3 Take-off Distance Available: 8500
2.13.4 Accelerate-Stop Distance Available: 8500
2.13.5 Landing Distance Available: 8500

2.13.1 Designation: 17L
2.13.2 Take-off Run Available: 8500
2.13.3 Take-off Distance Available: 8500
2.13.4 Accelerate-Stop Distance Available: 8500
2.13.5 Landing Distance Available: 8500

2.13.1 Designation: 17R
2.13.2 Take-off Run Available: 13400
2.13.3 Take-off Distance Available: 13400
2.13.4 Accelerate-Stop Distance Available: 13400
2.13.5 Landing Distance Available: 13400

2.13.1 Designation: 35L
2.13.2 Take-off Run Available: 13400
2.13.3 Take-off Distance Available: 13400
2.13.4 Accelerate-Stop Distance Available: 13400
2.13.5 Landing Distance Available: 13400

2.13.1 Designation: 36R
2.13.2 Take-off Run Available: 13401
2.13.3 Take-off Distance Available: 13401
2.13.4 Accelerate-Stop Distance Available: 13401
2.13.5 Landing Distance Available: 13401

2.13.1 Designation: 18L
2.13.2 Take-off Run Available: 13401
2.13.3 Take-off Distance Available: 13401
2.13.4 Accelerate-Stop Distance Available: 13401
2.13.5 Landing Distance Available: 13401

2.13.1 Designation: 18R
2.13.2 Take-off Run Available: 13400
2.13.3 Take-off Distance Available: 13400
2.13.4 Accelerate-Stop Distance Available: 13400
2.13.5 Landing Distance Available: 13400

2.13.1 Designation: 36L
2.13.2 Take-off Run Available: 13400
2.13.3 Take-off Distance Available: 13400
2.13.4 Accelerate-Stop Distance Available: 13400
2.13.5 Landing Distance Available: 13400

AD 2.14 Approach and Runway Lighting
2.14.1 Designation: 13L
2.14.2 Approach Lighting System:
2.14.4 Visual Approach Slope Indicator System: P4L

2.14.1 Designation: 31R
2.14.2 Approach Lighting System: MALSR
2.14.4 Visual Approach Slope Indicator System: P4L

2.14.1 Designation: 13R
2.14.2 Approach Lighting System: MALSR
2.14.4 Visual Approach Slope Indicator System: P4L

2.14.1 Designation: 31L
2.14.2 Approach Lighting System:
2.14.4 Visual Approach Slope Indicator System: P4L

2.14.1 Designation: 17C
2.14.2 Approach Lighting System: ALSF2
2.14.4 Visual Approach Slope Indicator System: P4L

2.14.1 Designation: 35C
2.14.2 Approach Lighting System: ALSF2
2.14.4 Visual Approach Slope Indicator System: P4L

2.14.1 Designation: 35R
2.14.2 Approach Lighting System: ALSF2
2.14.4 Visual Approach Slope Indicator System: P4R

2.14.1 Designation: 17L
2.14.2 Approach Lighting System: ALSF2
2.14.4 Visual Approach Slope Indicator System: P4L

2.14.1 Designation: 17R
2.14.2 Approach Lighting System: MALSR
2.14.4 Visual Approach Slope Indicator System: P4L

2.14.1 Designation: 35L
2.14.2 Approach Lighting System: MALSR
2.14.4 Visual Approach Slope Indicator System: P4L

2.14.1 Designation: 36R
2.14.2 Approach Lighting System: MALSR
2.14.4 Visual Approach Slope Indicator System: P4L

2.14.1 Designation: 18L
2.14.2 Approach Lighting System: MALSR
2.14.4 Visual Approach Slope Indicator System: P4L

2.14.1 Designation: 18R
2.14.2 Approach Lighting System: ALSF2
2.14.4 Visual Approach Slope Indicator System: P4L

2.14.1 Designation: 36L
2.14.2 Approach Lighting System: MALSR
2.14.4 Visual Approach Slope Indicator System: P4L

AD 2.18 Air Traffic Services Communication Facilities
2.18.1 Service Designation: CD/P
2.18.3 Channel: 128.25
2.18.5 Hours of Operation: 24

2.18.1 Service Designation: CLASS B (NW)
2.18.3 Channel: 118.1
2.18.5 Hours of Operation:

2.18.1 Service Designation: CLASS B (NE)
2.18.3 Channel: 124.3
2.18.5 Hours of Operation:

2.18.1 Service Designation: CLASS B (SE)
2.18.3 Channel: 125.2
2.18.5 Hours of Operation:

2.18.1 Service Designation: CLASS B (SW)
2.18.3 Channel: 135.975
2.18.5 Hours of Operation:

2.18.1 Service Designation: CLASS B (NE)
2.18.3 Channel: 282.275
2.18.5 Hours of Operation:

2.18.1 Service Designation: CLASS B (NW)
2.18.3 Channel: 306.95
2.18.5 Hours of Operation:

2.18.1 Service Designation: CLASS B (SE)
2.18.3 Channel: 343.65
2.18.5 Hours of Operation:

2.18.1 Service Designation: CLASS B (SW)
2.18.3 Channel: 379.9
2.18.5 Hours of Operation:

2.18.1 Service Designation: D-ATIS (ARR)
2.18.3 Channel: 123.775
2.18.5 Hours of Operation: 24

2.18.1 Service Designation: D-ATIS (DEP)
2.18.3 Channel: 135.925
2.18.5 Hours of Operation: 24

2.18.1 Service Designation: EMERG
2.18.3 Channel: 243
2.18.5 Hours of Operation:

2.18.1 Service Designation: GND/P (EAST)
2.18.3 Channel: 121.65
2.18.5 Hours of Operation: 24

2.18.1 Service Designation: GND/P (EAST)
2.18.3 Channel: 121.8
2.18.5 Hours of Operation: 24

2.18.1 Service Designation: GND/P (WEST)
2.18.3 Channel: 121.85
2.18.5 Hours of Operation: 24

2.18.1 Service Designation: JACKY DP (RY 31L/R, 36L/R, 35L/R)
2.18.3 Channel: 118.1
2.18.5 Hours of Operation:

2.18.1 Service Designation: JACKY DP (RWYS 13L/R, 17L/C/R, 18L/R)
2.18.3 Channel: 135.975
2.18.5 Hours of Operation:

2.18.1 Service Designation: JACKY DP (RWYS 31L/R, 36L/R, 35L/C/R)
2.18.3 Channel: 306.95
2.18.5 Hours of Operation:

2.18.1 Service Designation: JACKY DP (RWYS 13L/R, 17 L/C/R, 18L/R)
2.18.3 Channel: 379.9
2.18.5 Hours of Operation:

2.18.1 Service Designation: LCL/P (WEST)
2.18.3 Channel: 124.15
2.18.5 Hours of Operation: 24

2.18.1 Service Designation: LCL/P (EAST)
2.18.3 Channel: 126.55
2.18.5 Hours of Operation: 24

2.18.1 Service Designation: LCL/P (EAST)
2.18.3 Channel: 127.5
2.18.5 Hours of Operation: 24

2.18.1 Service Designation: LCL/P (WEST)
2.18.3 Channel: 134.9
2.18.5 Hours of Operation: 24

AD 2.19 Radio Navigation and Landing Aids
2.19.1 ILS Type: DME for runway 31R. Magnetic variation: 4E
2.19.2 ILS Identification: RRA
2.19.5 Coordinates: 32-54-49.6375N / 97-01-18.3123W
2.19.6 Site Elevation: 558.1 ft

2.19.1 ILS Type: Glide Slop for runway 31R. Magnetic variation: 4E
2.19.2 ILS Identification: RRA
2.19.5 Coordinates: 32-53-51.7482N / 97-00-07.9558W
2.19.6 Site Elevation: 509 ft

2.19.1 ILS Type: Localizer for runway 31R. Magnetic variation: 4E
2.19.2 ILS Identification: RRA
2.19.5 Coordinates: 32-54-48.1182N / 97-01-20.7551W
2.19.6 Site Elevation: 551.5 ft

2.19.1 ILS Type: DME for runway 13R. Magnetic variation: 4E
2.19.2 ILS Identification: LWN
2.19.5 Coordinates: 32-53-16.0647N / 97-03-42.7672W
2.19.6 Site Elevation: 588.7 ft

2.19.1 ILS Type: Glide Slop for runway 13R. Magnetic variation: 4E
2.19.2 ILS Identification: LWN
2.19.5 Coordinates: 32-54-24.1329N / 97-04-54.0746W
2.19.6 Site Elevation: 587.6 ft

2.19.1 ILS Type: Localizer for runway 13R. Magnetic variation: 4E
2.19.2 ILS Identification: LWN
2.19.5 Coordinates: 32-53-17.4371N / 97-03-40.0471W
2.19.6 Site Elevation: 575 ft

2.19.1 ILS Type: DME for runway 17C. Magnetic variation: 4E
2.19.2 ILS Identification: FLQ
2.19.5 Coordinates: 32-52-34.123N / 97-01-39.6491W
2.19.6 Site Elevation: 573.6 ft

2.19.1 ILS Type: Glide Slop for runway 17C. Magnetic variation: 4E
2.19.2 ILS Identification: FLQ
2.19.5 Coordinates: 32-54-45.6425N / 97-01-28.781W
2.19.6 Site Elevation: 555.8 ft

2.19.1 ILS Type: Inner Marker for runway 17C. Magnetic variation: 4E
2.19.2 ILS Identification: FLQ
2.19.5 Coordinates: 32-55-04.09N / 97-01-33.46W
2.19.6 Site Elevation: 562 ft

2.19.1 ILS Type: Localizer for runway 17C. Magnetic variation: 4E
2.19.2 ILS Identification: FLQ
2.19.5 Coordinates: 32-52-33.1505N / 97-01-34.2781W
2.19.6 Site Elevation: 562.7 ft

2.19.1 ILS Type: DME for runway 35C. Magnetic variation: 4E
2.19.2 ILS Identification: PKQ
2.19.5 Coordinates: 32-52-34.123N / 97-01-39.6491W
2.19.6 Site Elevation: 573.6 ft

2.19.1 ILS Type: Glide Slop for runway 35C. Magnetic variation: 4E
2.19.2 ILS Identification: PKQ
2.19.5 Coordinates: 32-52-54.3357N / 97-01-29.4713W
2.19.6 Site Elevation: 557.2 ft

2.19.1 ILS Type: Inner Marker for runway 35C. Magnetic variation: 4E
2.19.2 ILS Identification: PKQ
2.19.5 Coordinates: 32-52-35.3015N / 97-01-34.258W
2.19.6 Site Elevation: 562.5 ft

2.19.1 ILS Type: Localizer for runway 35C. Magnetic variation: 4E
2.19.2 ILS Identification: PKQ
2.19.5 Coordinates: 32-55-07.0371N / 97-01-33.452W
2.19.6 Site Elevation: 561.2 ft

2.19.1 ILS Type: DME for runway 17L. Magnetic variation: 4E
2.19.2 ILS Identification: PPZ
2.19.5 Coordinates: 32-52-18.7175N / 97-00-40.2982W
2.19.6 Site Elevation: 591.2 ft

2.19.1 ILS Type: Glide Slop for runway 17L. Magnetic variation: 4E
2.19.2 ILS Identification: PPZ
2.19.5 Coordinates: 32-53-45.2247N / 97-00-31.1329W
2.19.6 Site Elevation: 526.4 ft

2.19.1 ILS Type: Inner Marker for runway 17L. Magnetic variation: 4E
2.19.2 ILS Identification: PPZ
2.19.5 Coordinates: 32-54-05.3333N / 97-00-35.2536W
2.19.6 Site Elevation: 521.7 ft

2.19.1 ILS Type: Localizer for runway 17L. Magnetic variation: 4E
2.19.2 ILS Identification: PPZ
2.19.5 Coordinates: 32-52-19.4359N / 97-00-35.7267W
2.19.6 Site Elevation: 584.2 ft

2.19.1 ILS Type: DME for runway 35R. Magnetic variation: 4E
2.19.2 ILS Identification: AJQ
2.19.5 Coordinates: 32-52-18.7175N / 97-00-40.2982W
2.19.6 Site Elevation: 591.2 ft

2.19.1 ILS Type: Glide Slop for runway 35R. Magnetic variation: 4E
2.19.2 ILS Identification: AJQ
2.19.5 Coordinates: 32-52-43.4402N / 97-00-30.9032W
2.19.6 Site Elevation: 559.2 ft

2.19.1 ILS Type: Inner Marker for runway 35R. Magnetic variation: 4E
2.19.2 ILS Identification: AJQ
2.19.5 Coordinates: 32-52-22.6082N / 97-00-35.7029W
2.19.6 Site Elevation: 581.2 ft

2.19.1 ILS Type: Localizer for runway 35R. Magnetic variation: 4E
2.19.2 ILS Identification: AJQ
2.19.5 Coordinates: 32-54-04.1916N / 97-00-35.1492W
2.19.6 Site Elevation: 519.5 ft

2.19.1 ILS Type: DME for runway 17R. Magnetic variation: 4E
2.19.2 ILS Identification: JHZ
2.19.5 Coordinates: 32-52-33.6523N / 97-01-53.6029W
2.19.6 Site Elevation: 556.9 ft

2.19.1 ILS Type: Glide Slop for runway 17R. Magnetic variation: 4E
2.19.2 ILS Identification: JHZ
2.19.5 Coordinates: 32-54-45.8213N / 97-01-43.0635W
2.19.6 Site Elevation: 561.3 ft

2.19.1 ILS Type: Localizer for runway 17R. Magnetic variation: 4E
2.19.2 ILS Identification: JHZ
2.19.5 Coordinates: 32-52-33.207N / 97-01-48.3488W
2.19.6 Site Elevation: 558.2 ft

2.19.1 ILS Type: DME for runway 35L. Magnetic variation: 4E
2.19.2 ILS Identification: UWX
2.19.5 Coordinates: 32-52-33.6523N / 97-01-53.6029W
2.19.6 Site Elevation: 556.9 ft

2.19.1 ILS Type: Glide Slop for runway 35L. Magnetic variation: 4E
2.19.2 ILS Identification: UWX
2.19.5 Coordinates: 32-52-54.9854N / 97-01-43.5413W
2.19.6 Site Elevation: 559 ft

2.19.1 ILS Type: Localizer for runway 35L. Magnetic variation: 4E
2.19.2 ILS Identification: UWX
2.19.5 Coordinates: 32-55-07.3142N / 97-01-47.5225W
2.19.6 Site Elevation: 567.6 ft

2.19.1 ILS Type: DME for runway 18L. Magnetic variation: 4E
2.19.2 ILS Identification: CIX
2.19.5 Coordinates: 32-55-08.6708N / 97-03-07.2741W
2.19.6 Site Elevation: 594.7 ft

2.19.1 ILS Type: Glide Slop for runway 18L. Magnetic variation: 4E
2.19.2 ILS Identification: CIX
2.19.5 Coordinates: 32-54-45.2198N / 97-03-06.8173W
2.19.6 Site Elevation: 594.3 ft

2.19.1 ILS Type: Localizer for runway 18L. Magnetic variation: 4E
2.19.2 ILS Identification: CIX
2.19.5 Coordinates: 32-52-33.5835N / 97-03-03.3873W
2.19.6 Site Elevation: 570.1 ft

2.19.1 ILS Type: DME for runway 36R. Magnetic variation: 4E
2.19.2 ILS Identification: FJN
2.19.5 Coordinates: 32-55-08.6708N / 97-03-07.2741W
2.19.6 Site Elevation: 594.7 ft

2.19.1 ILS Type: Glide Slop for runway 36R. Magnetic variation: 4E
2.19.2 ILS Identification: FJN
2.19.5 Coordinates: 32-52-54.8518N / 97-03-07.9662W
2.19.6 Site Elevation: 577.2 ft

2.19.1 ILS Type: Localizer for runway 36R. Magnetic variation: 4E
2.19.2 ILS Identification: FJN
2.19.5 Coordinates: 32-55-06.8486N / 97-03-02.5997W
2.19.6 Site Elevation: 597.2 ft

2.19.1 ILS Type: DME for runway 18R. Magnetic variation: 4E
2.19.2 ILS Identification: VYN
2.19.5 Coordinates: 32-52-34.0875N / 97-03-12.5854W
2.19.6 Site Elevation: 582.3 ft

2.19.1 ILS Type: Glide Slop for runway 18R. Magnetic variation: 4E
2.19.2 ILS Identification: VYN
2.19.5 Coordinates: 32-54-45.4683N / 97-03-21.5693W
2.19.6 Site Elevation: 598.5 ft

2.19.1 ILS Type: Inner Marker for runway 18R. Magnetic variation: 4E
2.19.2 ILS Identification: VYN
2.19.5 Coordinates: 32-55-04.5483N / 97-03-16.6916W
2.19.6 Site Elevation: 602.6 ft

2.19.1 ILS Type: Localizer for runway 18R. Magnetic variation: 4E
2.19.2 ILS Identification: VYN
2.19.5 Coordinates: 32-52-33.9326N / 97-03-17.4526W
2.19.6 Site Elevation: 580.4 ft

2.19.1 ILS Type: DME for runway 36L. Magnetic variation: 4E
2.19.2 ILS Identification: BXN
2.19.5 Coordinates: 32-52-34.0875N / 97-03-12.5854W
2.19.6 Site Elevation: 582.3 ft

2.19.1 ILS Type: Glide Slop for runway 36L. Magnetic variation: 4E
2.19.2 ILS Identification: BXN
2.19.5 Coordinates: 32-52-54.4087N / 97-03-22.0405W
2.19.6 Site Elevation: 579.9 ft

2.19.1 ILS Type: Localizer for runway 36L. Magnetic variation: 4E
2.19.2 ILS Identification: BXN
2.19.5 Coordinates: 32-55-06.9002N / 97-03-16.6717W
2.19.6 Site Elevation: 601.9 ft

General Remarks:

TKOF DSTC FOR RY 35L FM TWY EQ IS 13084 FT & FM TWY EP IS 12811 FT.

ARPT UNDER CONSTRUCTION; PAEW IN MOVEMENT AREAS.

PPR ACFT WITH WINGSPAN 215 FT OR GREATER (GROUP VI) CALL ARPT OPNS 972-973-3112 FOR FOLLOW-ME SERVICES WHILE TAXIING TO & FROM RAMP & RYS.

TWY A6 CLSD TO ACFT WITH WINGSPAN 171 FT AND GREATER.

TKOF DSTC FOR RY 18R FM TWY WG IS 13,082 FT.

RY VISUAL SCREEN 20 FT AGL 1180 FT S AER 35C.

APRON ENTRANCE/EXIT POINT 3 CLSD TO ACFT WITH WINGSPAN GREATER THAN 214 FT EXCEPT PPR.

APRON ENTRANCE/EXIT POINTS 22, 24, 105, AND 107 CLSD TO ACFT WITH WINGSPAN GREATER THAN 125 FT.

ACFT USING TERMINAL A GATES A8-A39 AND TERMINAL C GATES C2-C12 MUST OBTAIN APPROVAL FROM RAMP 131.275 PRIOR TO ENTERING RAMP AND PRIOR TO PUSHBACK.

TKOF DSTC FOR RY 17L FM TWY Q2 IS 8196 FT.

ACFT USING TERMINAL C GATES C14-C39 MUST OBTAIN APPROVAL FROM RAMP 131.80 PRIOR TO ENTERING RAMP AND PRIOR TO PUSHBACK.

PPR GA OPERATIONS 0000-0500; CALL ARPT OPNS 972-973-3112.

APRON ENTRANCE/EXIT POINT 124 CLSD TO ACFT WITH WINGSPAN GREATER THAN 213 FT.

RY STATUS LGTS IN OPN.

TKOF DSTC FOR RY 35R FM TWY Q9 IS 8196 FT.

ACFT USING TERMINAL B GATES B1-B17, ALL TERMINAL D GATES, AND APRON ENTRY POINTS 117-150 MUST OBTAIN APPROVAL FROM RAMP 129.825 PRIOR TO ENTERING RAMP AND PRIOR TO PUSHBACK.

TKOF DSTC FOR RY 17C FM TWY EG IS 13,082 FT.

TKOF DSTC FOR RY 18L FM TWY WG IS 13,082; FM TWY WH IS 12,815.

TERMINAL B APRON TAXILANE BTN APRON ENTRANCE/EXIT POINT TAXILANES 103 & 116 CLSD TO ACFT WITH WINGSPAN 95 FT AND GREATER.

UNLESS OTHERWISE SPECIFIED, ALL APRON ENTRANCE/EXIT POINTS CLSD TO ACFT WITH WINGSPAN GREATER THAN 214 FT EXCEPT PPR.

PPR FROM ARPT OPNS FOR GEN AVN ACFT TO PROCD TO AIRLINE TRML GATE EXCP GEN AVN FAC.

PPR FM THE PRIMARY TENANT AIRLINES TO OPERATE WITHIN THE CENTRAL TERMINAL AREA. PROPER MINIMUM OBJECT FREE AREA DISTANCES MAY NOT BE MAINTAINED FOR RAMP/APRON TAXILANES.

TWY EDGE REFLECTORS ALONG ALL TWYS.

APRON ENTRANCE/EXIT POINTS 1 AND 2 CLSD TO ACFT WITH WINGSPAN GREATER THAN 89' EXCEPT PPR.

TKOF DSTC FOR RY 36R FM TWY WP IS 12,815 FT; FM TWY WQ IS 13,082 FT.

TKOF DSTC FOR RY 17R FM TWY EG IS 13082 FT & FM TWY EH IS 12816 FT.

LAND & HOLD SHORT SIGNS ON RY 17C AT TWY 'B' 10,460 FT S OF RY 17C THLD; RY 18R AT TWY 'B' 10,100 FT S OF RY 18R THLD; RY 35C AT TWY 'EJ' 9050 FT N OF RY 35C THLD; RY 36L AT TWY 'Z' 10,650 FT N OF RY 36L THLD; LGTD & MKD WITH IN-PAVEMENT PULSATING WHITE LGTS.

ACFT USING TWY HA NORTH OF TWY B MUST OBTAIN APPROVAL FROM RAMP 129.825 PRIOR TO ENTERING RAMP.

APRON ENTRANCE/EXIT POINTS 9, 32, 33, 34, 35, 36, 37, 38, & 53 CLSD TO ACFT WITH WINGSPAN GREATER THAN 135 FT.

APRON ENTRANCE/EXIT POINTS 5, 7, 42, 44, 48, 49, 51, 52, 117, 118 AND 122 CLSD TO ACFT WITH WINGSPAN GREATER THAN 118 FT.

APRON ENTRANCE/EXIT POINTS 31 AND 39 CLSD TO ACFT WITH WINGSPAN GREATER THAN 167 FT.

TERMINAL B APRON TAXILANE BTN APRON ENTRANCE/EXIT POINT TAXILANES 117 & 118 CLSD TO ACFT WITH WINGSPAN 119 FT AND GREATER.

ACFT USING TERMINAL B GATES B18-B49 MUST OBTAIN APPROVAL FROM RAMP 130.10 PRIOR TO ENTERING RAMP AND PRIOR TO PUSHBACK.

TWYS MAY REQUIRE JUDGMENTAL OVERSTEERING FOR LARGE ACFT.

STD SAWED GROOVING 160 FT WIDE FULL LENGTH RYS 13L/31R; 18L/36R & 17R/35L. STD GROOVING 130 FTWIDE FULL LENGTH RYS 17L/35R; 18R/36L; 13R/31L & 17C/35C.

BIRDS ON & INVOF ARPT.

RY VISUAL SCREEN 22 FT AGL 1179 FT S AER 35L.

ACFT USING TERMINAL E GATES E2-E17 MUST OBTAIN APPROVAL FROM RAMP 131.0 PRIOR TO ENTERING RAMP AND PRIOR TO PUSHBACK. ACFT USING TERMINAL E GATES E-18-E38 MUST OBTAIN APPROVAL FROM RAMP 128.825 PRIOR TO ENTERING RAMP AND PRIOR TO PUSHBACK.

A380 OPNS ONLY AUZD ON RWYS 18R/36L AND 18L/36R. B747-8 OPNS ONLY AUZD ON RWYS 18R/36L, 18L/36R AND 17R/35L. CTC ARPT OPNS FOR ADDNL INFO.

ACFT USING TERMINAL F HARDSTAND SPOTS T83 THROUGH T86 MUST CONTACT GROUND CONTROL ON 121.85 PRIOR TO TAXI.

El Paso, Texas
El Paso International
ICAO Identifier KELP

The airport diagram for El Paso International (ICAO Identifier KELP).

El Paso, TX
El Paso Intl
ICAO Identifier KELP

AD 2.2 Aerodrome Geographical and Administrative Data
2.2.1 Reference Point: 31-48-26.4N / 106-22-34.9W
2.2.2 From City: 4 miles NE of EL PASO, TX
2.2.3 Elevation: 3961.6 ft
2.2.5 Magnetic Variation: 8E (2015)
2.2.6 Airport Contact: SAM RODRIGUEZ
6701 CONVAIR RD
EL PASO, TX 79925 (915-212-0333)
2.2.7 Traffic: IFR/VFR

AD 2.3 Attendance Schedule
2.3.1 All Months, All Days, All Hours

AD 2.4 Handling Services and Facilities
2.4.1 Cargo Handling Facilities: YES
2.4.2 Fuel Types: 100LL A1+
2.4.5 Hangar Space: YES
2.4.6 Repair Facilities: MAJOR

AD 2.6 Rescue and Firefighting Services
2.6.1 Aerodrome Category: Class-I certified on 5/1/1973
2.6.2 Rescue and Firefighting Services: ARFF Index-C

AD 2.12 Runway Physical Characteristics
2.12.1 Designation: 04
2.12.2 True Bearing: 50
2.12.3 True Dimensions: 12020 ft x 150 ft
2.12.4 PCN: 70 R/B/X/T
2.12.5 Coordinates: 31-48-05.5605N / 106-23-59.4625W
2.12.6 Threshold Elevation: 3916.9
2.12.6 Touchdown Zone Elevation: 3923.2

2.12.1 Designation: 22
2.12.2 True Bearing: 230
2.12.3 True Dimensions: 12020 ft x 150 ft
2.12.4 PCN: 70 R/B/X/T
2.12.5 Coordinates: 31-49-22.0112N / 106-22-12.7821W
2.12.6 Threshold Elevation: 3949.5
2.12.6 Touchdown Zone Elevation: 3949.5

2.12.1 Designation: 08L
2.12.2 True Bearing: 93
2.12.3 True Dimensions: 5499 ft x 75 ft
2.12.4 PCN: 10 R/C/W/T
2.12.5 Coordinates: 31-48-25.3326N / 106-22-11.3796W
2.12.6 Threshold Elevation: 3952.6
2.12.6 Touchdown Zone Elevation: 3952.7

2.12.1 Designation: 26R
2.12.2 True Bearing: 273
2.12.3 True Dimensions: 5499 ft x 75 ft
2.12.4 PCN: 10 R/C/W/T
2.12.5 Coordinates: 31-48-22.1849N / 106-21-07.7768W
2.12.6 Threshold Elevation: 3949.2
2.12.6 Touchdown Zone Elevation: 3949.5

2.12.1 Designation: 26L
2.12.2 True Bearing: 273
2.12.3 True Dimensions: 9025 ft x 150 ft
2.12.4 PCN: 75 F/B/W/T
2.12.5 Coordinates: 31-48-02.195N / 106-21-34.7505W
2.12.6 Threshold Elevation: 3961.6
2.12.6 Touchdown Zone Elevation: 3961.6

2.12.1 Designation: 08R
2.12.2 True Bearing: 93
2.12.3 True Dimensions: 9025 ft x 150 ft
2.12.4 PCN: 75 F/B/W/T
2.12.5 Coordinates: 31-48-07.3509N / 106-23-19.1333W
2.12.6 Threshold Elevation: 3927.1
2.12.6 Touchdown Zone Elevation: 3940.3

AD 2.13 Declared Distances
2.13.1 Designation: 04
2.13.2 Take-off Run Available: 12020
2.13.3 Take-off Distance Available: 12020
2.13.4 Accelerate-Stop Distance Available: 12020
2.13.5 Landing Distance Available: 12020

2.13.1 Designation: 22
2.13.2 Take-off Run Available: 12020
2.13.3 Take-off Distance Available: 12020
2.13.4 Accelerate-Stop Distance Available: 12020
2.13.5 Landing Distance Available: 12020

2.13.1 Designation: 08L
2.13.2 Take-off Run Available: 5499
2.13.3 Take-off Distance Available: 5499
2.13.4 Accelerate-Stop Distance Available: 5499
2.13.5 Landing Distance Available: 5499

2.13.1 Designation: 26R
2.13.2 Take-off Run Available: 5499
2.13.3 Take-off Distance Available: 5499
2.13.4 Accelerate-Stop Distance Available: 5499
2.13.5 Landing Distance Available: 5499

2.13.1 Designation: 26L
2.13.2 Take-off Run Available: 9025
2.13.3 Take-off Distance Available: 9025
2.13.4 Accelerate-Stop Distance Available: 9025
2.13.5 Landing Distance Available: 9025

2.13.1 Designation: 08R
2.13.2 Take-off Run Available: 9025
2.13.3 Take-off Distance Available: 9025
2.13.4 Accelerate-Stop Distance Available: 9025
2.13.5 Landing Distance Available: 9025

AD 2.14 Approach and Runway Lighting
2.14.1 Designation: 04
2.14.2 Approach Lighting System:
2.14.4 Visual Approach Slope Indicator System: P4L

2.14.1 Designation: 22
2.14.2 Approach Lighting System: MALSR
2.14.4 Visual Approach Slope Indicator System: P4R

2.14.1 Designation: 08L
2.14.2 Approach Lighting System:
2.14.4 Visual Approach Slope Indicator System:

2.14.1 Designation: 26R
2.14.2 Approach Lighting System:
2.14.4 Visual Approach Slope Indicator System:

2.14.1 Designation: 26L
2.14.2 Approach Lighting System: MALSR
2.14.4 Visual Approach Slope Indicator System: P4R

2.14.1 Designation: 08R
2.14.2 Approach Lighting System:
2.14.4 Visual Approach Slope Indicator System: P4L

AD 2.18 Air Traffic Services Communication Facilities
2.18.1 Service Designation: APCH/P (SOUTH-V16)
2.18.3 Channel: 119.15
2.18.5 Hours of Operation: 24

2.18.1 Service Designation: APCH/P (SOUTH-V16)
2.18.3 Channel: 353.5
2.18.5 Hours of Operation: 24

2.18.1 Service Designation: APCH/P IC (NORTH-V16)
2.18.3 Channel: 124.25
2.18.5 Hours of Operation: 24

2.18.1 Service Designation: APCH/P IC (NORTH-V16)
2.18.3 Channel: 298.85
2.18.5 Hours of Operation: 24

2.18.1 Service Designation: CD PRE TAXI CLNC
2.18.3 Channel: 125
2.18.5 Hours of Operation: 24

2.18.1 Service Designation: CD/P
2.18.3 Channel: 379.1
2.18.5 Hours of Operation: 24

2.18.1 Service Designation: CLASS C (SOUTH-V16)
2.18.3 Channel: 119.15
2.18.5 Hours of Operation: 24

2.18.1 Service Designation: CLASS C
2.18.3 Channel: 119.15
2.18.5 Hours of Operation: 24

2.18.1 Service Designation: CLASS C (NORTH-V16)
2.18.3 Channel: 124.25
2.18.5 Hours of Operation: 24

2.18.1 Service Designation: CLASS C (NORTH-V16)
2.18.3 Channel: 298.85
2.18.5 Hours of Operation: 24

2.18.1 Service Designation: CLASS C (SOUTH-V16)
2.18.3 Channel: 353.5
2.18.5 Hours of Operation: 24

2.18.1 Service Designation: D-ATIS
2.18.3 Channel: 120
2.18.5 Hours of Operation: 24

2.18.1 Service Designation: D-ATIS
2.18.3 Channel: 254.3
2.18.5 Hours of Operation: 24

2.18.1 Service Designation: DEP/P
2.18.3 Channel: 119.15
2.18.5 Hours of Operation: 24

2.18.1 Service Designation: DEP/P
2.18.3 Channel: 263
2.18.5 Hours of Operation: 24

2.18.1 Service Designation: EMERG
2.18.3 Channel: 121.5
2.18.5 Hours of Operation:

2.18.1 Service Designation: EMERG
2.18.3 Channel: 243
2.18.5 Hours of Operation:

2.18.1 Service Designation: GND/P
2.18.3 Channel: 121.9
2.18.5 Hours of Operation: 24

2.18.1 Service Designation: GND/P
2.18.3 Channel: 348.6
2.18.5 Hours of Operation: 24

2.18.1 Service Designation: LCL/P
2.18.3 Channel: 118.3
2.18.5 Hours of Operation: 24

2.18.1 Service Designation: LCL/P
2.18.3 Channel: 239.275
2.18.5 Hours of Operation: 24

AD 2.19 Radio Navigation and Landing Aids
2.19.1 ILS Type: DME for runway 04. Magnetic variation: 8E
2.19.2 ILS Identification: ETF
2.19.5 Coordinates: 31-47-58.7232N / 106-24-13.5201W
2.19.6 Site Elevation: 3926 ft

2.19.1 ILS Type: Localizer for runway 04. Magnetic variation: 8E
2.19.2 ILS Identification: ETF
2.19.5 Coordinates: 31-49-28.4448N / 106-22-03.7979W
2.19.6 Site Elevation: 3950.4 ft

2.19.1 ILS Type: DME for runway 22. Magnetic variation: 8E
2.19.2 ILS Identification: ELP
2.19.5 Coordinates: 31-47-58.7232N / 106-24-13.5201W
2.19.6 Site Elevation: 3926 ft

2.19.1 ILS Type: Glide Slop for runway 22. Magnetic variation: 8E
2.19.2 ILS Identification: ELP
2.19.5 Coordinates: 31-49-17.2839N / 106-22-26.5917W
2.19.6 Site Elevation: 3940.3 ft

2.19.1 ILS Type: Localizer for runway 22. Magnetic variation: 8E
2.19.2 ILS Identification: ELP
2.19.5 Coordinates: 31-47-55.923N / 106-24-12.9005W
2.19.6 Site Elevation: 3910.9 ft

2.19.1 Navigation Aid Type VORTAC. Magnetic variation: 12E
2.19.2 Navigation Aid Identification: ELP
2.19.5 Coordinates: 31-48-57.277N / 106-16-54.7782W
2.19.6 Site Elevation: 4023 ft

General Remarks:

TWY A SOUTH OF APCH END OF RWY 4; TWY J NE OF TWY K1; TWY K NE OF TWY K1 BTN TWY J & NORTH CARGO RAMP; TWYS U & V SOUTH OF TWY L; & TWY K2 NOT VISIBLE FM ATCT.

ENGINE POWER IS RSTRD TO IDLE POWER ON ONE ENGINE AT A TIME FOR MAX 5 MIN ON ANY TERMINAL OR PARKING APRONS, CROSS-BLEED STARTS OR OTHER PRE DEP ACTIVITY ON MOVEMENT AREAS ONLY, MAINT OR OTR RQRMT NEEDING LONGER OR HIGHER POWER CTC TWR FOR DIRECTIONS TO DESIGNATED RUNUP AREAS.

CTN: BIGGS AAF 2NM NW RWY 22 CAN BE MISTAKEN FOR ELP RWY 22.

COMPASS ROSE CLSD PERMLY.

NOISE ABATEMENT PROCEDURES IN EFFECT, CTC ATCT FOR DETAILS.

HOLDING POSITION MARKINGS FOR RUNWAY 8R APPROACH AND RUNWAY 4/22 ARE IN CLOSE PROXIMITY TO THE TERMINAL APRON; REVIEW AIRPORT DIAGRAM PRIOR TO PUSHBACK FROM THE GATE.

MILITARY USERS SHOULD REVIEW NOISE ABATEMENT PROCEDURES LISTED FOR BIGGS AAF.

NORTH BOUND TFC PROHIBITED ON TWY F SOUTH OF APCH END RWY 08R.

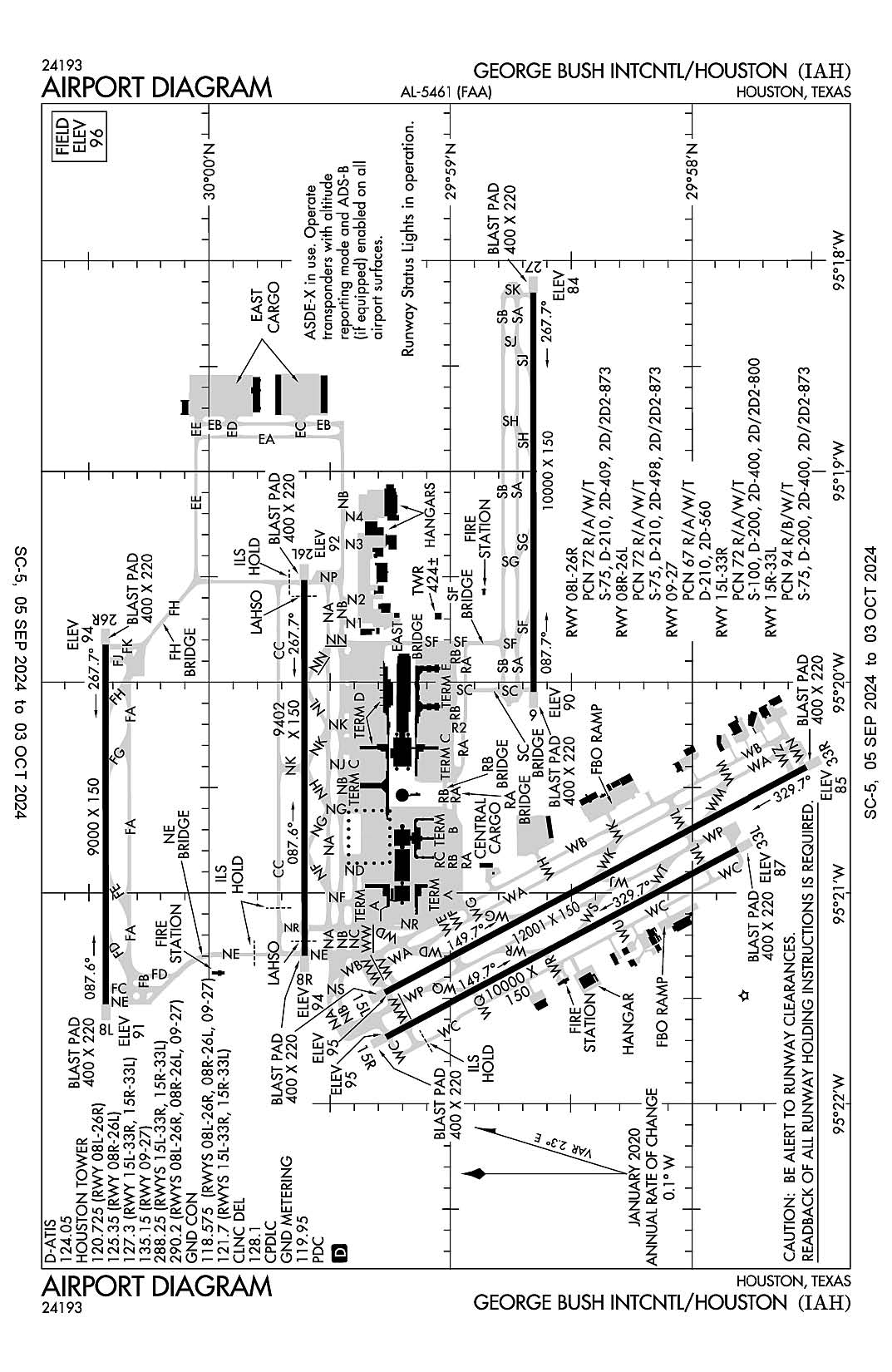
Houston, Texas
George Bush Intercontinental/Houston
ICAO Identifier KIAH

The airport diagram for George Bush Intercontinental/Houston (ICAO Identifier KIAH).

Houston, TX
George Bush Intercontinental/Houston
ICAO Identifier KIAH

AD 2.2 Aerodrome Geographical and Administrative Data
2.2.1 Reference Point: 29-59-03.967N / 95-20-29.193W
2.2.2 From City: 15 miles N of HOUSTON, TX
2.2.3 Elevation: 95.8 ft
2.2.5 Magnetic Variation: 3E (2015)
2.2.6 Airport Contact: STEVEN RUNGE
PO BOX 60106
HOUSTON, TX 77205 (281-233-1131)
2.2.7 Traffic: IFR/VFR

AD 2.3 Attendance Schedule
2.3.1 All Months, All Days, All Hours

AD 2.4 Handling Services and Facilities
2.4.1 Cargo Handling Facilities: YES
2.4.2 Fuel Types: 100LL A
2.4.5 Hangar Space: YES
2.4.6 Repair Facilities: MAJOR

AD 2.6 Rescue and Firefighting Services
2.6.1 Aerodrome Category: Class-I certified on 5/1/1973
2.6.2 Rescue and Firefighting Services: ARFF Index-E

AD 2.12 Runway Physical Characteristics
2.12.1 Designation: 08L
2.12.2 True Bearing: 90
2.12.3 True Dimensions: 9000 ft x 150 ft
2.12.4 PCN: 72 R/A/W/T
2.12.5 Coordinates: 30-00-25.7816N / 95-21-31.6473W
2.12.6 Threshold Elevation: 90.6
2.12.6 Touchdown Zone Elevation: 94

2.12.1 Designation: 26R
2.12.2 True Bearing: 270
2.12.3 True Dimensions: 9000 ft x 150 ft
2.12.4 PCN: 72 R/A/W/T
2.12.5 Coordinates: 30-00-25.8612N / 95-19-49.2891W
2.12.6 Threshold Elevation: 94.2
2.12.6 Touchdown Zone Elevation: 95.3

2.12.1 Designation: 08R
2.12.2 True Bearing: 90
2.12.3 True Dimensions: 9402 ft x 150 ft
2.12.4 PCN: 72 R/A/W/T
2.12.5 Coordinates: 29-59-36.3028N / 95-21-17.8703W
2.12.6 Threshold Elevation: 94.3
2.12.6 Touchdown Zone Elevation: 95.3

2.12.1 Designation: 26L
2.12.2 True Bearing: 270
2.12.3 True Dimensions: 9402 ft x 150 ft
2.12.4 PCN: 72 R/A/W/T
2.12.5 Coordinates: 29-59-36.3817N / 95-19-30.9539W
2.12.6 Threshold Elevation: 92.3
2.12.6 Touchdown Zone Elevation: 94.6

2.12.1 Designation: 27
2.12.2 True Bearing: 270
2.12.3 True Dimensions: 10000 ft x 150 ft
2.12.4 PCN: 67 R/A/W/T
2.12.5 Coordinates: 29-58-39.4071N / 95-18-09.0948W
2.12.6 Threshold Elevation: 84.3
2.12.6 Touchdown Zone Elevation: 86.2

2.12.1 Designation: 09
2.12.2 True Bearing: 90
2.12.3 True Dimensions: 10000 ft x 150 ft
2.12.4 PCN: 67 R/A/W/T
2.12.5 Coordinates: 29-58-39.3363N / 95-20-02.7891W
2.12.6 Threshold Elevation: 89.9
2.12.6 Touchdown Zone Elevation: 90.1

2.12.1 Designation: 33R
2.12.2 True Bearing: 332
2.12.3 True Dimensions: 12001 ft x 150 ft
2.12.4 PCN: 72 R/A/W/T
2.12.5 Coordinates: 29-57-31.5505N / 95-20-24.189W
2.12.6 Threshold Elevation: 84.9
2.12.6 Touchdown Zone Elevation: 88

2.12.1 Designation: 15L
2.12.2 True Bearing: 152
2.12.3 True Dimensions: 12001 ft x 150 ft
2.12.4 PCN: 72 R/A/W/T
2.12.5 Coordinates: 29-59-16.4026N / 95-21-28.3335W
2.12.6 Threshold Elevation: 94.6
2.12.6 Touchdown Zone Elevation: 95.2

2.12.1 Designation: 33L
2.12.2 True Bearing: 332
2.12.3 True Dimensions: 10000 ft x 150 ft
2.12.4 PCN: 94 R/B/W/T
2.12.5 Coordinates: 29-57-48.7474N / 95-20-47.5811W
2.12.6 Threshold Elevation: 86.5
2.12.6 Touchdown Zone Elevation: 89.3

2.12.1 Designation: 15R
2.12.2 True Bearing: 152
2.12.3 True Dimensions: 10000 ft x 150 ft
2.12.4 PCN: 94 R/B/W/T
2.12.5 Coordinates: 29-59-16.1082N / 95-21-41.0384W
2.12.6 Threshold Elevation: 94.8
2.12.6 Touchdown Zone Elevation: 94.8

AD 2.13 Declared Distances
2.13.1 Designation: 08L
2.13.2 Take-off Run Available: 9000
2.13.3 Take-off Distance Available: 9000
2.13.4 Accelerate-Stop Distance Available: 9000
2.13.5 Landing Distance Available: 9000

2.13.1 Designation: 26R
2.13.2 Take-off Run Available: 9000
2.13.3 Take-off Distance Available: 9000
2.13.4 Accelerate-Stop Distance Available: 9000
2.13.5 Landing Distance Available: 9000

2.13.1 Designation: 08R
2.13.2 Take-off Run Available: 9402
2.13.3 Take-off Distance Available: 9402
2.13.4 Accelerate-Stop Distance Available: 9402
2.13.5 Landing Distance Available: 9402

2.13.1 Designation: 26L
2.13.2 Take-off Run Available: 9402
2.13.3 Take-off Distance Available: 9402
2.13.4 Accelerate-Stop Distance Available: 9402
2.13.5 Landing Distance Available: 9402

2.13.1 Designation: 27
2.13.2 Take-off Run Available: 10000
2.13.3 Take-off Distance Available: 10000
2.13.4 Accelerate-Stop Distance Available: 10000
2.13.5 Landing Distance Available: 10000

2.13.1 Designation: 09
2.13.2 Take-off Run Available: 10000
2.13.3 Take-off Distance Available: 10000
2.13.4 Accelerate-Stop Distance Available: 10000
2.13.5 Landing Distance Available: 10000

2.13.1 Designation: 33R
2.13.2 Take-off Run Available: 12001
2.13.3 Take-off Distance Available: 12001
2.13.4 Accelerate-Stop Distance Available: 12001
2.13.5 Landing Distance Available: 12001

2.13.1 Designation: 15L
2.13.2 Take-off Run Available: 12001
2.13.3 Take-off Distance Available: 12001
2.13.4 Accelerate-Stop Distance Available: 12001
2.13.5 Landing Distance Available: 12001

2.13.1 Designation: 33L
2.13.2 Take-off Run Available: 10000
2.13.3 Take-off Distance Available: 10000
2.13.4 Accelerate-Stop Distance Available: 10000
2.13.5 Landing Distance Available: 10000

2.13.1 Designation: 15R
2.13.2 Take-off Run Available: 10000
2.13.3 Take-off Distance Available: 10000
2.13.4 Accelerate-Stop Distance Available: 10000
2.13.5 Landing Distance Available: 10000

AD 2.14 Approach and Runway Lighting
2.14.1 Designation: 08L
2.14.2 Approach Lighting System: ALSF2
2.14.4 Visual Approach Slope Indicator System:

2.14.1 Designation: 26R
2.14.2 Approach Lighting System: ALSF2
2.14.4 Visual Approach Slope Indicator System:

2.14.1 Designation: 08R
2.14.2 Approach Lighting System: MALSR
2.14.4 Visual Approach Slope Indicator System: P4L

2.14.1 Designation: 26L
2.14.2 Approach Lighting System: ALSF2
2.14.4 Visual Approach Slope Indicator System: P4R

2.14.1 Designation: 27
2.14.2 Approach Lighting System: ALSF2
2.14.4 Visual Approach Slope Indicator System: P4L

2.14.1 Designation: 09
2.14.2 Approach Lighting System: MALSR
2.14.4 Visual Approach Slope Indicator System: P4R

2.14.1 Designation: 33R
2.14.2 Approach Lighting System: MALSR
2.14.4 Visual Approach Slope Indicator System:

2.14.1 Designation: 15L
2.14.2 Approach Lighting System:
2.14.4 Visual Approach Slope Indicator System: P4R

2.14.1 Designation: 33L
2.14.2 Approach Lighting System:
2.14.4 Visual Approach Slope Indicator System: P4R

2.14.1 Designation: 15R
2.14.2 Approach Lighting System: MALSR
2.14.4 Visual Approach Slope Indicator System: P4L

AD 2.18 Air Traffic Services Communication Facilities
2.18.1 Service Designation: CD/P
2.18.3 Channel: 128.1
2.18.5 Hours of Operation: 24

2.18.1 Service Designation: D-ATIS
2.18.3 Channel: 124.05
2.18.5 Hours of Operation: 24

2.18.1 Service Designation: EMERG
2.18.3 Channel: 121.5
2.18.5 Hours of Operation:

2.18.1 Service Designation: GND METERING
2.18.3 Channel: 119.95
2.18.5 Hours of Operation: 24

2.18.1 Service Designation: GND/P (RWY 08L/26R, 08R/26L, 09/27)
2.18.3 Channel: 118.575
2.18.5 Hours of Operation: 24

2.18.1 Service Designation: GND/P (RWY 15L/33R, 15R/33L)
2.18.3 Channel: 121.7
2.18.5 Hours of Operation: 24

2.18.1 Service Designation: LCL/P (RWY 08L/26R)
2.18.3 Channel: 120.725
2.18.5 Hours of Operation: 24

2.18.1 Service Designation: LCL/P (RWY 08R/26L)
2.18.3 Channel: 125.35
2.18.5 Hours of Operation: 24

2.18.1 Service Designation: LCL/P (RWY 15L/33R, 15R/33L)
2.18.3 Channel: 127.3
2.18.5 Hours of Operation: 24

2.18.1 Service Designation: LCL/P (RWY 09/27)
2.18.3 Channel: 135.15
2.18.5 Hours of Operation: 24

2.18.1 Service Designation: LCL/P (RWY 15L/33R, 15R/33L)
2.18.3 Channel: 288.25
2.18.5 Hours of Operation: 24

2.18.1 Service Designation: LCL/P (RWY 08L/26R, 08R/26L, 09/27)
2.18.3 Channel: 290.2
2.18.5 Hours of Operation: 24

AD 2.19 Radio Navigation and Landing Aids
2.19.1 ILS Type: DME for runway 08L. Magnetic variation: 3E
2.19.2 ILS Identification: BZU
2.19.5 Coordinates: 30-00-21.9187N / 95-21-44.0405W
2.19.6 Site Elevation: 87.5 ft

2.19.1 ILS Type: Glide Slop for runway 08L. Magnetic variation: 3E
2.19.2 ILS Identification: BZU
2.19.5 Coordinates: 30-00-29.7528N / 95-21-18.6875W
2.19.6 Site Elevation: 86 ft

2.19.1 ILS Type: Inner Marker for runway 08L. Magnetic variation: 3E
2.19.2 ILS Identification: BZU
2.19.5 Coordinates: 30-00-25.764N / 95-21-40.8592W
2.19.6 Site Elevation: 90.8 ft

2.19.1 ILS Type: Localizer for runway 08L. Magnetic variation: 3E
2.19.2 ILS Identification: BZU
2.19.5 Coordinates: 30-00-25.8701N / 95-19-36.9727W
2.19.6 Site Elevation: 94.4 ft

2.19.1 ILS Type: DME for runway 26R. Magnetic variation: 3E
2.19.2 ILS Identification: OND
2.19.5 Coordinates: 30-00-21.9187N / 95-21-44.0405W
2.19.6 Site Elevation: 87.5 ft

2.19.1 ILS Type: Glide Slop for runway 26R. Magnetic variation: 3E
2.19.2 ILS Identification: OND
2.19.5 Coordinates: 30-00-29.8117N / 95-20-02.26W
2.19.6 Site Elevation: 89.7 ft

2.19.1 ILS Type: Inner Marker for runway 26R. Magnetic variation: 3E
2.19.2 ILS Identification: OND
2.19.5 Coordinates: 30-00-25.8755N / 95-19-40.4195W
2.19.6 Site Elevation: 94.4 ft

2.19.1 ILS Type: Localizer for runway 26R. Magnetic variation: 3E
2.19.2 ILS Identification: OND
2.19.5 Coordinates: 30-00-25.7696N / 95-21-43.9647W
2.19.6 Site Elevation: 90.8 ft

2.19.1 ILS Type: DME for runway 08R. Magnetic variation: 3E
2.19.2 ILS Identification: IAH
2.19.5 Coordinates: 29-59-38.9211N / 95-21-31.3127W
2.19.6 Site Elevation: 92.5 ft

2.19.1 ILS Type: Glide Slop for runway 08R. Magnetic variation: 3E
2.19.2 ILS Identification: IAH
2.19.5 Coordinates: 29-59-40.3184N / 95-21-06.0476W
2.19.6 Site Elevation: 88.8 ft

2.19.1 ILS Type: Localizer for runway 08R. Magnetic variation: 3E
2.19.2 ILS Identification: IAH
2.19.5 Coordinates: 29-59-36.3913N / 95-19-19.5749W
2.19.6 Site Elevation: 89.6 ft

2.19.1 ILS Type: DME for runway 26L. Magnetic variation: 3E
2.19.2 ILS Identification: JYV
2.19.5 Coordinates: 29-59-38.9211N / 95-21-31.3127W
2.19.6 Site Elevation: 92.5 ft

2.19.1 ILS Type: Glide Slop for runway 26L. Magnetic variation: 3E
2.19.2 ILS Identification: JYV
2.19.5 Coordinates: 29-59-39.5388N / 95-19-42.8056W
2.19.6 Site Elevation: 86.8 ft

2.19.1 ILS Type: Inner Marker for runway 26L. Magnetic variation: 3E
2.19.2 ILS Identification: JYV
2.19.5 Coordinates: 29-59-36.3841N / 95-19-20.5992W
2.19.6 Site Elevation: 89.2 ft

2.19.1 ILS Type: Localizer for runway 26L. Magnetic variation: 3E
2.19.2 ILS Identification: JYV
2.19.5 Coordinates: 29-59-36.2865N / 95-21-31.2791W
2.19.6 Site Elevation: 92.2 ft

2.19.1 ILS Type: DME for runway 09. Magnetic variation: 3E
2.19.2 ILS Identification: UYO
2.19.5 Coordinates: 29-58-35.3774N / 95-20-13.5882W
2.19.6 Site Elevation: 87.3 ft

2.19.1 ILS Type: Glide Slop for runway 09. Magnetic variation: 3E
2.19.2 ILS Identification: UYO
2.19.5 Coordinates: 29-58-35.3875N / 95-19-50.679W
2.19.6 Site Elevation: 85.3 ft

2.19.1 ILS Type: Localizer for runway 09. Magnetic variation: 3E
2.19.2 ILS Identification: UYO
2.19.5 Coordinates: 29-58-39.4132N / 95-17-57.578W
2.19.6 Site Elevation: 81 ft

2.19.1 ILS Type: DME for runway 27. Magnetic variation: 3E
2.19.2 ILS Identification: GHI
2.19.5 Coordinates: 29-58-35.3774N / 95-20-13.5882W
2.19.6 Site Elevation: 87.3 ft

2.19.1 ILS Type: Glide Slop for runway 27. Magnetic variation: 3E
2.19.2 ILS Identification: GHI
2.19.5 Coordinates: 29-58-35.4434N / 95-18-20.8578W
2.19.6 Site Elevation: 80 ft

2.19.1 ILS Type: Inner Marker for runway 27. Magnetic variation: 3E
2.19.2 ILS Identification: GHI
2.19.5 Coordinates: 29-58-39.4166N / 95-17-59.1664W
2.19.6 Site Elevation: 81.1 ft

2.19.1 ILS Type: Localizer for runway 27. Magnetic variation: 3E
2.19.2 ILS Identification: GHI
2.19.5 Coordinates: 29-58-39.3268N / 95-20-15.3338W
2.19.6 Site Elevation: 87.4 ft

2.19.1 ILS Type: Glide Slop for runway 33R. Magnetic variation: 3E
2.19.2 ILS Identification: CDG
2.19.5 Coordinates: 29-57-38.8144N / 95-20-33.4594W
2.19.6 Site Elevation: 80.4 ft

2.19.1 ILS Type: Localizer for runway 33R. Magnetic variation: 3E
2.19.2 ILS Identification: CDG
2.19.5 Coordinates: 29-59-31.6238N / 95-21-37.6444W
2.19.6 Site Elevation: 91.9 ft

2.19.1 ILS Type: Glide Slop for runway 15R. Magnetic variation: 3E
2.19.2 ILS Identification: LKM
2.19.5 Coordinates: 29-59-04.4118N / 95-21-39.0331W
2.19.6 Site Elevation: 89.9 ft

2.19.1 ILS Type: Localizer for runway 15R. Magnetic variation: 3E
2.19.2 ILS Identification: LKM
2.19.5 Coordinates: 29-57-39.3739N / 95-20-41.8496W
2.19.6 Site Elevation: 82.7 ft

2.19.1 Navigation Aid Type VORTAC. Magnetic variation: 5E
2.19.2 Navigation Aid Identification: IAH
2.19.5 Coordinates: 29-57-24.9013N / 95-20-44.5885W
2.19.6 Site Elevation: 80.6 ft

General Remarks:

THE FLWG MOV AREAS ARE NOT VSB FM THE ATCT: PORTIONS OF TWYS 'WA' & 'WB' FM TWY 'WH' TO THE AER 33R; TWYS 'WA' & 'WB' FM TWY 'WD' NORTH FOR 400 FT; TWY 'WD' FM TWY 'WA' TO TWY 'NR'; TWY 'NR'; TWY 'WL' FM RWY 15L TO TWY 'WB' & TWY 'WM'.

TWY RC CLSD TO ACFT WITH WINGSPAN GTR THAN 118 FT.

TXLN 'RA', 'RB', 'RC', 'R2', AND TWY 'SC' NORTH OF TWY 'SB' ARE DSGND NON-MOVEMENT AREAS OPERD BY UAL RAMP CTL.

DUAL TWY OPNS TWY NK BTN TWY NB & NORTH RAMP; WEST CNTRLN RSTRD TO ACFT MAX WING SPANS 125 FT & EAST CNTRLN MAX WING SPANS 214 FT.

APRON TERMINAL ALPHA NORTH RAMP NORTH-SOUTH TXL CLSD TO ACFT WINGSPAN MORE THAN 125 FT.

RWY STATUS LGTS ARE IN OPN.

TWY WW BTN TWY NR AND TWY WB CLSD TO ACFT WINGSPAN MORE THAN 214 FT.

APRON TERMINAL ALPHA NORTH RAMP EAST-WEST TXL CLSD TO ACFT WINGSPAN MORE THAN 118 FT.

TWY 'SF' BTN TWY 'NB' AND TXL 'RA' IS DSGND NON-MOV AREA.

9 FT AGL UNMKD SECURITY FENCE ADJ TO FBO & CORPORATE BASE OPR RAMPS AND NONMOV AREA TXLS.

TWY SF BTN RWY 09/27 UP TO AND INCLUDING THE EAST BRIDGE CLSD TO ACFT WITH WINGSPAN 215 FT & OVER.

HEL HOVER/TAXI RSTRD TO HARD SFC MOV AREAS ONLY.

APRON TERMINAL ALPHA NORTH RAMP SPOT 5 CLSD TO ACFT WINGSPAN MORE THAN 118 FT.

TWY 'NR' CLSD TO ACFT WITH WING SPANS GREATER THAN 125 FT BTN TWY 'WD' & TWY 'WB'.

TWY WC WEST OF RWY 15R/33L RSTRD TO ACFT WITH 118 FT WING SPAN AND BLW.

TWY NR BTN TWY NC AND TWY WW CLSD TO ACFT WINGSPAN MORE THAN 214 FT.

TWY NR BTN WW AND TWY WB DSGND NON-MOVEMENT AREA.

TWY NA LGT ALL BTN TWY WP AND TWY NP NOT STD

APRON TERMINAL ALPHA NORTH RAMP SPOT 6 CLSD TO ACFT WINGSPAN MORE THAN 125 FT.

PILOTS & CREWS SHOULD BE AWARE OF DEP TURNS ON CRS IN EXCESS OF 180 DEGS. PILOT READ BACK OF DRCTN OF TURN IS HIGHLY ENCOURAGED.

TWYS WA & WB MAGNETIC ANOMALIES MAY AFFECT COMPASS HDG.

RWY 15L/33R MAGNETIC ANOMALIES MAY AFFECT COMPASS HDG FOR TKOF.

GBAS APCH SVC VOL 20NM FR THR, ALL GLS APCHS.

TWY WD BTN TWY NR AND TWY WB CLSD TO ACFT WINGSPAN MORE THAN 171 FT.

RWY 09/27 CLSD TO ACFT WITH WINGSPAN 215 FT & ABOVE.

TWY NJ BTN TWY NB AND TERMINAL C RAMP SIMULTANEOUS ACFT OPS PROHIBITED WHEN MIDDLE TAXILANE IN USE, MIDDLE TAXILANE CLSD TO ACFT WINGSPAN MORE THAN 214FT.

DUAL TWY OPNS TWY NJ BTN TWY NB & TERMINAL C RAMP; WEST CNTRLN RSTRD TO ACFT MAX WING SPANS 118 FT & EAST CNTRLN MAX WING SPANS 118 FT.

BIRDS ON & INVOF ARPT.

NOISE SENSITIVE AREA N, E AND W OF ARPT.

TWY WW RUN UP PAD FOR RWY 15L CLSD TO ACFT WITH WINGSPAN 135 FT & OVER.

WILDLIFE HAZ BATS INVOF IAH.

TWY NK BTN TWY NB AND TERMINAL D RAMP SIMULTANEOUS ACFT OPS PROHIBITED WHEN MIDDLE TAXILANE IN USE.

Laredo, Texas
Laredo International
ICAO Identifier KLRD

The airport diagram for Laredo International (ICAO Identifier KLRD).

Laredo, TX
Laredo Intl
ICAO Identifier KLRD

AD 2.2 Aerodrome Geographical and Administrative Data
2.2.1 Reference Point: 27-32-39.1N / 99-27-41.7W
2.2.2 From City: 3 miles NE of LAREDO, TX
2.2.3 Elevation: 508 ft
2.2.5 Magnetic Variation: 5E (2020)
2.2.6 Airport Contact: GILBERTO SANCHEZ
5210 BOB BULLOCK LOOP
LAREDO, TX 78041 (956-795-2000)
2.2.7 Traffic: IFR/VFR

AD 2.3 Attendance Schedule
2.3.1 All Months, All Days, All Hours

AD 2.4 Handling Services and Facilities
2.4.1 Cargo Handling Facilities: YES
2.4.2 Fuel Types: 100LL A
2.4.5 Hangar Space: YES
2.4.6 Repair Facilities: None

AD 2.6 Rescue and Firefighting Services
2.6.1 Aerodrome Category: Class-I certified on 7/1/1975
2.6.2 Rescue and Firefighting Services: ARFF Index-B

AD 2.12 Runway Physical Characteristics
2.12.1 Designation: 32
2.12.2 True Bearing: 327
2.12.3 True Dimensions: 5927 ft x 150 ft
2.12.4 PCN:
2.12.5 Coordinates: 27-32-08.635N / 99-27-24.668W
2.12.6 Threshold Elevation: 467.4
2.12.6 Touchdown Zone Elevation: 493.6

2.12.1 Designation: 14
2.12.2 True Bearing: 147
2.12.3 True Dimensions: 5927 ft x 150 ft
2.12.4 PCN:
2.12.5 Coordinates: 27-32-58.0248N / 99-28-00.2242W
2.12.6 Threshold Elevation: 505.4
2.12.6 Touchdown Zone Elevation: 508

2.12.1 Designation: 18L
2.12.2 True Bearing: 183
2.12.3 True Dimensions: 8236 ft x 150 ft
2.12.4 PCN:
2.12.5 Coordinates: 27-33-22.9267N / 99-27-33.5988W
2.12.6 Threshold Elevation: 499.2
2.12.6 Touchdown Zone Elevation: 499.2

2.12.1 Designation: 36R
2.12.2 True Bearing: 3
2.12.3 True Dimensions: 8236 ft x 150 ft
2.12.4 PCN:
2.12.5 Coordinates: 27-32-01.4547N / 99-27-37.6934W
2.12.6 Threshold Elevation: 474.2
2.12.6 Touchdown Zone Elevation: 486.7

2.12.1 Designation: 36L
2.12.2 True Bearing: 3
2.12.3 True Dimensions: 8743 ft x 150 ft
2.12.4 PCN:
2.12.5 Coordinates: 27-31-56.8817N / 99-27-49.0449W
2.12.6 Threshold Elevation: 483.7
2.12.6 Touchdown Zone Elevation: 497

2.12.1 Designation: 18R
2.12.2 True Bearing: 183
2.12.3 True Dimensions: 8743 ft x 150 ft
2.12.4 PCN:
2.12.5 Coordinates: 27-33-23.3681N / 99-27-44.7128W
2.12.6 Threshold Elevation: 503.7
2.12.6 Touchdown Zone Elevation: 503.7

AD 2.13 Declared Distances
2.13.1 Designation: 32
2.13.2 Take-off Run Available: 5927
2.13.3 Take-off Distance Available: 5927
2.13.4 Accelerate-Stop Distance Available: 5927
2.13.5 Landing Distance Available: 5927

2.13.1 Designation: 14
2.13.2 Take-off Run Available: 5927
2.13.3 Take-off Distance Available: 5927
2.13.4 Accelerate-Stop Distance Available: 5927
2.13.5 Landing Distance Available: 5927

2.13.1 Designation: 18L
2.13.2 Take-off Run Available: 8236
2.13.3 Take-off Distance Available: 8236
2.13.4 Accelerate-Stop Distance Available: 8236
2.13.5 Landing Distance Available: 8236

2.13.1 Designation: 36R
2.13.2 Take-off Run Available: 8236
2.13.3 Take-off Distance Available: 8236
2.13.4 Accelerate-Stop Distance Available: 8236
2.13.5 Landing Distance Available: 8236

2.13.1 Designation: 36L
2.13.2 Take-off Run Available: 8743
2.13.3 Take-off Distance Available: 8743
2.13.4 Accelerate-Stop Distance Available: 8743
2.13.5 Landing Distance Available: 8623

2.13.1 Designation: 18R
2.13.2 Take-off Run Available: 8743
2.13.3 Take-off Distance Available: 8743
2.13.4 Accelerate-Stop Distance Available: 8743
2.13.5 Landing Distance Available: 8743

AD 2.14 Approach and Runway Lighting
2.14.1 Designation: 32
2.14.2 Approach Lighting System:
2.14.4 Visual Approach Slope Indicator System: V4L

2.14.1 Designation: 14
2.14.2 Approach Lighting System:
2.14.4 Visual Approach Slope Indicator System: V4L

2.14.1 Designation: 18L
2.14.2 Approach Lighting System:
2.14.4 Visual Approach Slope Indicator System: P4L

2.14.1 Designation: 36R
2.14.2 Approach Lighting System:
2.14.4 Visual Approach Slope Indicator System:

2.14.1 Designation: 36L
2.14.2 Approach Lighting System:
2.14.4 Visual Approach Slope Indicator System: P4L

2.14.1 Designation: 18R
2.14.2 Approach Lighting System: MALSR
2.14.4 Visual Approach Slope Indicator System: P4L

AD 2.18 Air Traffic Services Communication Facilities
2.18.1 Service Designation: ATIS
2.18.3 Channel: 125.775
2.18.5 Hours of Operation: 24

2.18.1 Service Designation: EMERG
2.18.3 Channel: 243
2.18.5 Hours of Operation:

2.18.1 Service Designation: GND/P
2.18.3 Channel: 121.8
2.18.5 Hours of Operation: 0600-2400

2.18.1 Service Designation: LCL/P
2.18.3 Channel: 120.1
2.18.5 Hours of Operation: 0600-2400

2.18.1 Service Designation: LCL/P
2.18.3 Channel: 257.9
2.18.5 Hours of Operation: 0600-2400

AD 2.19 Radio Navigation and Landing Aids
2.19.1 ILS Type: DME for runway 18R. Magnetic variation: 5E
2.19.2 ILS Identification: LRD
2.19.5 Coordinates: 27-31-50.8814N / 99-27-46.6673W
2.19.6 Site Elevation: 477 ft

2.19.1 ILS Type: Glide Slop for runway 18R. Magnetic variation: 5E
2.19.2 ILS Identification: LRD
2.19.5 Coordinates: 27-33-12.4993N / 99-27-40.6967W
2.19.6 Site Elevation: 497 ft

2.19.1 ILS Type: Localizer for runway 18R. Magnetic variation: 5E
2.19.2 ILS Identification: LRD
2.19.5 Coordinates: 27-31-51.7421N / 99-27-49.3028W
2.19.6 Site Elevation: 477 ft

2.19.1 Navigation Aid Type VORTAC. Magnetic variation: 9E
2.19.2 Navigation Aid Identification: LRD
2.19.5 Coordinates: 27-28-43.4544N / 99-25-03.6441W
2.19.6 Site Elevation: 583 ft

General Remarks:

RWY 14/32 RSTRD TO ACFT LESS THAN 60000 LBS DTW.

BIRDS ON AND INVOF ARPT.

FEDERAL INSPECTION STATION FEE.

FOR CD IF UNA TO CTC ON FSS FREQ, CTC HOUSTON ARTCC AT 281-230-5622.

TWY C CLSD BTN RWY 18L/36R & RWY 18R INDEFLY.

FEDERAL INSPECTION STATION IS LCTD ON THE WEST GENERAL AVIATION/CARGO APRON.

LNDG FEE ASSESSED FOR ALL ACFT EXC FEDERAL, MIL AND BASED ACFT.

San Antonio, Texas
San Antonio International
ICAO Identifier KSAT

The airport diagram for San Antonio International (ICAO Identifier KSAT).

San Antonio, TX
San Antonio Intl
ICAO Identifier KSAT

AD 2.2 Aerodrome Geographical and Administrative Data
2.2.1 Reference Point: 29-32-02.25N / 98-28-08.605W
2.2.2 From City: 7 miles N of SAN ANTONIO, TX
2.2.3 Elevation: 809.1 ft
2.2.5 Magnetic Variation: 4E (2020)
2.2.6 Airport Contact: JESUS H. SAENZ, JR.
9800 AIRPORT BLVD
SAN ANTONIO, TX 78216 (210-207-3444)
2.2.7 Traffic: IFR/VFR

AD 2.3 Attendance Schedule
2.3.1 All Months, All Days, All Hours

AD 2.4 Handling Services and Facilities
2.4.1 Cargo Handling Facilities: YES
2.4.2 Fuel Types: 100LL A
2.4.5 Hangar Space: YES
2.4.6 Repair Facilities: MAJOR

AD 2.6 Rescue and Firefighting Services
2.6.1 Aerodrome Category: Class-I certified on 5/1/1973
2.6.2 Rescue and Firefighting Services: ARFF Index-C

AD 2.12 Runway Physical Characteristics
2.12.1 Designation: 04
2.12.2 True Bearing: 41
2.12.3 True Dimensions: 8505 ft x 150 ft
2.12.4 PCN: 91 R/B/W/T
2.12.5 Coordinates: 29-31-23.6409N / 98-28-11.6562W
2.12.6 Threshold Elevation: 786
2.12.6 Touchdown Zone Elevation: 786

2.12.1 Designation: 22
2.12.2 True Bearing: 221
2.12.3 True Dimensions: 8505 ft x 150 ft
2.12.4 PCN: 91 R/B/W/T
2.12.5 Coordinates: 29-32-27.3928N / 98-27-08.7715W
2.12.6 Threshold Elevation: 754.5
2.12.6 Touchdown Zone Elevation: 770

2.12.1 Designation: 31R
2.12.2 True Bearing: 312
2.12.3 True Dimensions: 5519 ft x 100 ft
2.12.4 PCN: 61 F/C/W/T
2.12.5 Coordinates: 29-31-48.7812N / 98-27-53.0202W
2.12.6 Threshold Elevation: 779.2
2.12.6 Touchdown Zone Elevation: 788.1

2.12.1 Designation: 13L
2.12.2 True Bearing: 132
2.12.3 True Dimensions: 5519 ft x 100 ft
2.12.4 PCN: 61 F/C/W/T
2.12.5 Coordinates: 29-32-25.0764N / 98-28-39.714W
2.12.6 Threshold Elevation: 797.3
2.12.6 Touchdown Zone Elevation: 797.3

2.12.1 Designation: 31L
2.12.2 True Bearing: 312
2.12.3 True Dimensions: 8502 ft x 150 ft
2.12.4 PCN: 86 R/B/W/T
2.12.5 Coordinates: 29-31-38.0038N / 98-27-55.9932W
2.12.6 Threshold Elevation: 778.5
2.12.6 Touchdown Zone Elevation: 790

2.12.1 Designation: 13R
2.12.2 True Bearing: 132
2.12.3 True Dimensions: 8502 ft x 150 ft
2.12.4 PCN: 86 R/B/W/T
2.12.5 Coordinates: 29-32-33.8853N / 98-29-07.9481W
2.12.6 Threshold Elevation: 809.1
2.12.6 Touchdown Zone Elevation: 809.1

AD 2.13 Declared Distances
2.13.1 Designation: 04
2.13.2 Take-off Run Available: 8505
2.13.3 Take-off Distance Available: 8505
2.13.4 Accelerate-Stop Distance Available: 8505
2.13.5 Landing Distance Available: 8505

2.13.1 Designation: 22
2.13.2 Take-off Run Available: 8505
2.13.3 Take-off Distance Available: 8505
2.13.4 Accelerate-Stop Distance Available: 8505
2.13.5 Landing Distance Available: 8505

2.13.1 Designation: 31R
2.13.2 Take-off Run Available: 5519
2.13.3 Take-off Distance Available: 5519
2.13.4 Accelerate-Stop Distance Available: 5519
2.13.5 Landing Distance Available: 5519

2.13.1 Designation: 13L
2.13.2 Take-off Run Available: 5519
2.13.3 Take-off Distance Available: 5519
2.13.4 Accelerate-Stop Distance Available: 5519
2.13.5 Landing Distance Available: 5519

2.13.1 Designation: 31L
2.13.2 Take-off Run Available: 8502
2.13.3 Take-off Distance Available: 8502
2.13.4 Accelerate-Stop Distance Available: 8502
2.13.5 Landing Distance Available: 8502

2.13.1 Designation: 13R
2.13.2 Take-off Run Available: 8502
2.13.3 Take-off Distance Available: 8502
2.13.4 Accelerate-Stop Distance Available: 8502
2.13.5 Landing Distance Available: 8502

AD 2.14 Approach and Runway Lighting
2.14.1 Designation: 04
2.14.2 Approach Lighting System: MALS
2.14.4 Visual Approach Slope Indicator System: P4R

2.14.1 Designation: 22
2.14.2 Approach Lighting System:
2.14.4 Visual Approach Slope Indicator System: P4L

2.14.1 Designation: 31R
2.14.2 Approach Lighting System:
2.14.4 Visual Approach Slope Indicator System: P4L

2.14.1 Designation: 13L
2.14.2 Approach Lighting System:
2.14.4 Visual Approach Slope Indicator System: P4L

2.14.1 Designation: 31L
2.14.2 Approach Lighting System: MALSR
2.14.4 Visual Approach Slope Indicator System: P4L

2.14.1 Designation: 13R
2.14.2 Approach Lighting System: ALSF2
2.14.4 Visual Approach Slope Indicator System: P4L

AD 2.18 Air Traffic Services Communication Facilities
2.18.1 Service Designation: ALAMO DP (RWY 04, 22, 31)
2.18.3 Channel: 125.1
2.18.5 Hours of Operation: 24

2.18.1 Service Designation: ALAMO DP (RWY 13)
2.18.3 Channel: 127.1
2.18.5 Hours of Operation: 24

2.18.1 Service Designation: ALAMO DP (RWY 13)
2.18.3 Channel: 269.1
2.18.5 Hours of Operation: 24

2.18.1 Service Designation: ALAMO DP (RWY 04, 22, 31)
2.18.3 Channel: 307
2.18.5 Hours of Operation: 24

2.18.1 Service Designation: ALISS DP (RY 31L/R)
2.18.3 Channel: 125.1
2.18.5 Hours of Operation: 24

2.18.1 Service Designation: ALISS DP (RY 13L/R, 22)
2.18.3 Channel: 125.7
2.18.5 Hours of Operation: 24

2.18.1 Service Designation: ALISS DP (RWY 4)
2.18.3 Channel: 127.1
2.18.5 Hours of Operation: 24

2.18.1 Service Designation: ALISS DP (RY 4)
2.18.3 Channel: 269.1
2.18.5 Hours of Operation: 24

2.18.1 Service Designation: ALISS DP (RY 13L/R, 22)
2.18.3 Channel: 290.225
2.18.5 Hours of Operation: 24

2.18.1 Service Designation: ALISS DP (RY 31L/R)
2.18.3 Channel: 307
2.18.5 Hours of Operation: 24

2.18.1 Service Designation: APCH/P
2.18.3 Channel: 121.375
2.18.5 Hours of Operation: 24

2.18.1 Service Designation: APCH/P (115-154 SAT/035-056 SAT)
2.18.3 Channel: 257.625
2.18.5 Hours of Operation: 24

2.18.1 Service Designation: APCH/P DEP/P (141-270 SAT)
2.18.3 Channel: 118.05
2.18.5 Hours of Operation: 24

2.18.1 Service Designation: APCH/P DEP/P (360-090 SAT)
2.18.3 Channel: 124.45
2.18.5 Hours of Operation: 24

2.18.1 Service Designation: APCH/P DEP/P (091-140 SAT)
2.18.3 Channel: 128.05
2.18.5 Hours of Operation: 24

2.18.1 Service Designation: APCH/P DEP/P (091-149 SAT)
2.18.3 Channel: 318.1
2.18.5 Hours of Operation: 24

2.18.1 Service Designation: APCH/P DEP/P (360-090 SAT)
2.18.3 Channel: 335.625
2.18.5 Hours of Operation: 24

2.18.1 Service Designation: APCH/P DEP/P (141-270 SAT)
2.18.3 Channel: 353.5
2.18.5 Hours of Operation: 24

2.18.1 Service Designation: APCH/P DEP/P IC (271-359 SAT)
2.18.3 Channel: 125.1
2.18.5 Hours of Operation: 24

2.18.1 Service Designation: APCH/P DEP/P IC (271-359 SAT)
2.18.3 Channel: 307
2.18.5 Hours of Operation: 24

2.18.1 Service Designation: APCH/S DEP/S
2.18.3 Channel: 125.7
2.18.5 Hours of Operation: 24

2.18.1 Service Designation: APCH/S DEP/S
2.18.3 Channel: 127.1
2.18.5 Hours of Operation: 24

2.18.1 Service Designation: APCH/S DEP/S
2.18.3 Channel: 251.125
2.18.5 Hours of Operation: 24

2.18.1 Service Designation: APCH/S DEP/S
2.18.3 Channel: 290.225
2.18.5 Hours of Operation: 24

2.18.1 Service Designation: BOWIE DP (RWY 04 LRD TRANSITION)
2.18.3 Channel: 125.1
2.18.5 Hours of Operation: 24

2.18.1 Service Designation: BOWIE DP (RWY 13, 22, 31)
2.18.3 Channel: 125.7
2.18.5 Hours of Operation: 24

2.18.1 Service Designation: BOWIE DP (RWY 04 CRP TRANSITION)
2.18.3 Channel: 127.1
2.18.5 Hours of Operation: 24

2.18.1 Service Designation: BOWIE DP (RWY 04 CRP TRANSITION)
2.18.3 Channel: 269.1
2.18.5 Hours of Operation: 24

2.18.1 Service Designation: BOWIE DP (RWY 04, 13, 31)
2.18.3 Channel: 290.225
2.18.5 Hours of Operation: 24

2.18.1 Service Designation: BOWIE DP (RWY 04 LRD TRANSITION)
2.18.3 Channel: 307
2.18.5 Hours of Operation: 24

2.18.1 Service Designation: CD/P
2.18.3 Channel: 126.7
2.18.5 Hours of Operation: 24

2.18.1 Service Designation: CENTERPOINT STAR (RWY 13R, 22)
2.18.3 Channel: 125.1
2.18.5 Hours of Operation: 24

2.18.1 Service Designation: CENTERPOINT STAR (RWY 04, 31L)
2.18.3 Channel: 125.7
2.18.5 Hours of Operation: 24

2.18.1 Service Designation: CENTERPOINT STAR (RWY 04, 31L)
2.18.3 Channel: 290.225
2.18.5 Hours of Operation: 24

2.18.1 Service Designation: CENTERPOINT STAR (RWY 13R, 22)
2.18.3 Channel: 307
2.18.5 Hours of Operation: 24

2.18.1 Service Designation: CLASS C (141-270 SAT)
2.18.3 Channel: 118.05
2.18.5 Hours of Operation: 24

2.18.1 Service Designation: CLASS C (360-090 SAT)
2.18.3 Channel: 124.45
2.18.5 Hours of Operation: 24

2.18.1 Service Designation: CLASS C (271-359 SAT)
2.18.3 Channel: 125.1
2.18.5 Hours of Operation: 24

2.18.1 Service Designation: CLASS C (091-140 SAT)
2.18.3 Channel: 128.05
2.18.5 Hours of Operation: 24

2.18.1 Service Designation: CLASS C (271-359 SAT)
2.18.3 Channel: 307
2.18.5 Hours of Operation: 24

2.18.1 Service Designation: CLASS C (091-140 SAT)
2.18.3 Channel: 318.1
2.18.5 Hours of Operation: 24

2.18.1 Service Designation: CLASS C (360-090 SAT)
2.18.3 Channel: 335.625
2.18.5 Hours of Operation: 24

2.18.1 Service Designation: CLASS C (141-270 SAT)
2.18.3 Channel: 353.5
2.18.5 Hours of Operation: 24

2.18.1 Service Designation: CRVZA RNAV STAR
2.18.3 Channel: 125.7
2.18.5 Hours of Operation: 24

2.18.1 Service Designation: CRVZA RNAV STAR
2.18.3 Channel: 290.225
2.18.5 Hours of Operation: 24

2.18.1 Service Designation: D-ATIS
2.18.3 Channel: 118.9
2.18.5 Hours of Operation: 24

2.18.1 Service Designation: DNKIN RNAV STAR
2.18.3 Channel: 125.1
2.18.5 Hours of Operation: 24

2.18.1 Service Designation: DNKIN RNAV STAR
2.18.3 Channel: 307
2.18.5 Hours of Operation: 24

2.18.1 Service Designation: EMERG
2.18.3 Channel: 121.5
2.18.5 Hours of Operation:

2.18.1 Service Designation: EMERG
2.18.3 Channel: 243
2.18.5 Hours of Operation:

2.18.1 Service Designation: GND/P
2.18.3 Channel: 121.9
2.18.5 Hours of Operation: 24

2.18.1 Service Designation: GND/P
2.18.3 Channel: 348.6
2.18.5 Hours of Operation: 24

2.18.1 Service Designation: LCL/P
2.18.3 Channel: 119.8
2.18.5 Hours of Operation: 24

2.18.1 Service Designation: LCL/P
2.18.3 Channel: 257.8
2.18.5 Hours of Operation: 24

2.18.1 Service Designation: LEJON DP (RWY 04, 22, 31)
2.18.3 Channel: 125.1
2.18.5 Hours of Operation: 24

2.18.1 Service Designation: LEJON DP (RWY 13)
2.18.3 Channel: 125.7
2.18.5 Hours of Operation: 24

2.18.1 Service Designation: LEJON DP (RWY 13)
2.18.3 Channel: 290.225
2.18.5 Hours of Operation: 24

2.18.1 Service Designation: LEJON DP (RWY 04, 22, 31)
2.18.3 Channel: 307
2.18.5 Hours of Operation: 24

2.18.1 Service Designation: LEMIG STAR
2.18.3 Channel: 125.7
2.18.5 Hours of Operation: 24

2.18.1 Service Designation: LEMIG STAR
2.18.3 Channel: 290.225
2.18.5 Hours of Operation: 24

2.18.1 Service Designation: MARCS STAR
2.18.3 Channel: 127.1
2.18.5 Hours of Operation: 24

2.18.1 Service Designation: MARCS STAR
2.18.3 Channel: 269.1
2.18.5 Hours of Operation: 24

2.18.1 Service Designation: POPPO RNAV STAR
2.18.3 Channel: 125.1
2.18.5 Hours of Operation: 24

2.18.1 Service Designation: POPPO RNAV STAR
2.18.3 Channel: 307
2.18.5 Hours of Operation: 24

2.18.1 Service Designation: QERVO RNAV STAR
2.18.3 Channel: 127.1
2.18.5 Hours of Operation: 24

2.18.1 Service Designation: QERVO RNAV STAR
2.18.3 Channel: 269.1
2.18.5 Hours of Operation: 24

2.18.1 Service Designation: SLENA DP (RY 13R/L 31L/R, 22)
2.18.3 Channel: 125.7
2.18.5 Hours of Operation: 24

2.18.1 Service Designation: SLENA DP (RY 4)
2.18.3 Channel: 127.1
2.18.5 Hours of Operation: 24

2.18.1 Service Designation: SLENA DP (RY 4)
2.18.3 Channel: 269.1
2.18.5 Hours of Operation: 24

2.18.1 Service Designation: SLENA DP (RY 13R/L, 31L/R, 22)
2.18.3 Channel: 290.225
2.18.5 Hours of Operation: 24

2.18.1 Service Designation: SNIDR DP (RY 22)
2.18.3 Channel: 125.7
2.18.5 Hours of Operation: 24

2.18.1 Service Designation: SNIDR DP (RY 13R/L, 31L/R, 4)
2.18.3 Channel: 127.1
2.18.5 Hours of Operation: 24

2.18.1 Service Designation: SNIDR DP (RY 13R/L, 31L/R, 4)
2.18.3 Channel: 269.1
2.18.5 Hours of Operation: 24

2.18.1 Service Designation: SNIDR DP (RY 22)
2.18.3 Channel: 290.225
2.18.5 Hours of Operation: 24

2.18.1 Service Designation: STONEWALL STAR
2.18.3 Channel: 125.1
2.18.5 Hours of Operation: 24

2.18.1 Service Designation: STONEWALL STAR
2.18.3 Channel: 307
2.18.5 Hours of Operation: 24

2.18.1 Service Designation: TJANO DP (RY 13R/L, 31L/R, 22)
2.18.3 Channel: 125.7
2.18.5 Hours of Operation: 24

2.18.1 Service Designation: TJANO DP (RY 4)
2.18.3 Channel: 127.1
2.18.5 Hours of Operation: 24

2.18.1 Service Designation: TJANO DP (RY 4)
2.18.3 Channel: 269.1
2.18.5 Hours of Operation: 24

2.18.1 Service Designation: TJANO DP (RY 13R/L,31L/R, 22)
2.18.3 Channel: 290.225
2.18.5 Hours of Operation: 24

2.18.1 Service Designation: YODUH DP (RY 31L/R)
2.18.3 Channel: 125.1
2.18.5 Hours of Operation: 24

2.18.1 Service Designation: YODUH DP (RY 22)
2.18.3 Channel: 125.7
2.18.5 Hours of Operation: 24

2.18.1 Service Designation: YODUH DP (RY 13R/L, 4)
2.18.3 Channel: 127.1
2.18.5 Hours of Operation: 24

2.18.1 Service Designation: YODUH DP (RY 13R/L, 4)
2.18.3 Channel: 269.1
2.18.5 Hours of Operation: 24

2.18.1 Service Designation: YODUH DP (RY 22)
2.18.3 Channel: 290.225
2.18.5 Hours of Operation: 24

2.18.1 Service Designation: YODUH DP (RY 31L/R)
2.18.3 Channel: 307
2.18.5 Hours of Operation: 24

AD 2.19 Radio Navigation and Landing Aids
2.19.1 ILS Type: DME for runway 04. Magnetic variation: 4E
2.19.2 ILS Identification: SAT
2.19.5 Coordinates: 29-32-32.9486N / 98-26-58.6881W
2.19.6 Site Elevation: 746.3 ft

2.19.1 ILS Type: Glide Slop for runway 04. Magnetic variation: 4E
2.19.2 ILS Identification: SAT
2.19.5 Coordinates: 29-31-30.2202N / 98-27-58.0715W
2.19.6 Site Elevation: 774.8 ft

2.19.1 ILS Type: Localizer for runway 04. Magnetic variation: 4E
2.19.2 ILS Identification: SAT
2.19.5 Coordinates: 29-32-35.0937N / 98-27-01.1714W
2.19.6 Site Elevation: 748.9 ft

2.19.1 ILS Type: DME for runway 13R. Magnetic variation: 4E
2.19.2 ILS Identification: ANT
2.19.5 Coordinates: 29-31-29.0932N / 98-27-49.9584W
2.19.6 Site Elevation: 790.7 ft

2.19.1 ILS Type: Glide Slop for runway 13R. Magnetic variation: 4E
2.19.2 ILS Identification: ANT
2.19.5 Coordinates: 29-32-29.1973N / 98-28-54.6095W
2.19.6 Site Elevation: 801.3 ft

2.19.1 ILS Type: Inner Marker for runway 13R. Magnetic variation: 4E
2.19.2 ILS Identification: ANT
2.19.5 Coordinates: 29-32-39.0383N / 98-29-14.595W
2.19.6 Site Elevation: 807.6 ft

2.19.1 ILS Type: Localizer for runway 13R. Magnetic variation: 4E
2.19.2 ILS Identification: ANT
2.19.5 Coordinates: 29-31-31.3122N / 98-27-47.3799W
2.19.6 Site Elevation: 771 ft

2.19.1 ILS Type: DME for runway 31L. Magnetic variation: 4E
2.19.2 ILS Identification: IZR
2.19.5 Coordinates: 29-31-29.0932N / 98-27-49.9584W
2.19.6 Site Elevation: 790.7 ft

2.19.1 ILS Type: Glide Slop for runway 31L. Magnetic variation: 4E
2.19.2 ILS Identification: IZR
2.19.5 Coordinates: 29-31-47.9039N / 98-28-01.9173W
2.19.6 Site Elevation: 777.5 ft

2.19.1 ILS Type: Localizer for runway 31L. Magnetic variation: 4E
2.19.2 ILS Identification: IZR
2.19.5 Coordinates: 29-32-43.1182N / 98-29-19.835W
2.19.6 Site Elevation: 813.4 ft

2.19.1 Navigation Aid Type VORTAC. Magnetic variation: 8E
2.19.2 Navigation Aid Identification: SAT
2.19.5 Coordinates: 29-38-38.508N / 98-27-40.7369W
2.19.6 Site Elevation: 1158.8 ft

General Remarks:

TWY L CLSD NORTHBOUND.

GLIDER/SOARING OPNS APRXLY 17 MILES NW OF ARPT DURG VFR.

ARPT RSTD TO ACFT WITH WINGSPAN GTR THAN 171 FT, PPR WITH 24HR OPS 210-207-3433. RQRD FOR AUTH.

ALL INTL GENERAL AVIATION CLEAR U.S. CSTMS AT NORTH FIXED BASE OPERATOR RAMP EAST SIDE, CALL U.S. CSTMS 210-821-6965 UPON ARR.

TWY S BTN APCH END RWY 13L AND RWY 13R/31L CLSD TO ACFT WITH WINGSPAN MORE THAN 100 FT. TWY R BTN APCH END RWY 13L AND TWY D CLSD TO ACFT WINGSPAN MORE THAN 100 FT.

NOISE SENSITIVE AREAS EXIST ON ALL SIDES OF ARPT, AT PILOTS DISCRETION CLIMB AS QUICKLY AND QUIETLY AS SAFELY POSSIBLE ON DEPARTURE AND USE CONSIDERATION WHEN FLYING OVER POPULATED AREAS BY MINIMIZING FLT AND HIGH PWR SETTINGS. MILITARY AIRCRAFT: DEPARTING AND ARRIVING AIRCRAFT WILL USE MINIMUM POWER SETTINGS CONSISTENT WITH AIRCRAFT FLIGHT MANUALS, AFTERBURNER TAKEOFF IS PROHIBITED UNLESS REQUIRED FOR SAFETY OF FLIGHT. ENGINE-UPS ARE PERMITTED BTN 0600-2300.

ACFT TAXIING ON RY 04 NE BOUND LOOK FOR HOLD SHORT TO RY 31L.

INNER RAMP TAXILANE NORTH OF TRML A AND B IS CLSD TO ACFT WITH WINGSPAN GTR THAN 135 FT.

PPR WITH ARPT OPNS FOR ACFT POWERING BACK FM TERMINAL GATES.

GROUND RUN-UP ENCLOSURE AVBL 24 HRS.

NUMEROUS FLOCKS OF BIRDS INVOF ARPT.

FOREIGN MIL ACFT WITH WINGSPAN LESS THAN 100 FT MUST REP TO GA RAMP FED INSPECTION STATION FOR CUST PROCESSING, CTC AP MANAGEMENT AT 210-207-3433.

RY 13L/31R NOT AVBL FOR PART 121 ACR OPNS.

TERMINAL GATES A1, A2, A6, A7, A8, A15 & A17 USE ONLY WITH PPR CALL OPNS 210-207-3433.

C130 AND C17 TYPE ACFT MUST PARK ON WEST RAMP TO CLR CUST.

ACFT TAXIING ON TWY N SW BOUND LOOK FOR HOLD SHORT TO RY 31R.

TWY Z CLSD TO ACFT WITH WINGSPAN GREATER THAN 118 FT.

APRON EAST CARGO RAMP INT OF RWY 04/22 AND TWY DELTA ACFT ARE REQ TO APPLY THE MNM THRUST WHEN XNG THE RWY TO AVOID DMG DUE TO JET BLAST.

THE FLWG TWYS ARE NOT AVBL FOR ACFT 59000 LBS OR OVR: TWY A, TWY M, TWY H NORTHWEST OF TWY Z AND TWY E EAST OF RWY 04/22.

TWYS L & B CLSD TO ACFT WITH WINGSPANS GREATER THAN 118 FT EXITING RY 31L.

ACFT AT TERMINAL A & B ADVISE GND CTL PRIOR TO PUSH.